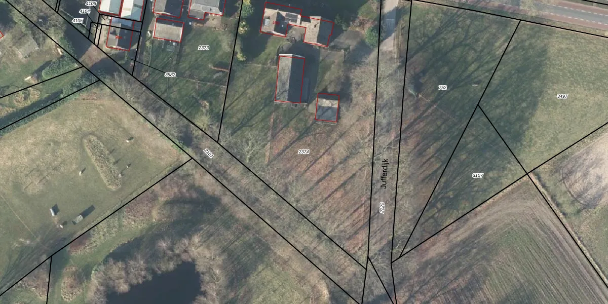
Perceel: AMN00-B-2374
KadastraleKaart.com kan meer dan je denktOntdek meer ›
Filter op bestemming 50+ datasets Eigendomsdata in één klik Percelen CRM
3.550 m2 - 257 m
Eigenaar opvragen
AMN00-B-2374 (Almen)
- 7217 RJ
7uLZLJ6 27uvARk5tcXOz2Upgrade naar KadastraleKaart Pro
Bekijk op Street View
Download DWG/DXF/Excel
8JXm X0FB9 Fj0PWwQmNGnUpgrade naar KadastraleKaart Pro
9 crcqw0Mfpoi gUpgrade naar KadastraleKaart Pro
yIroGg5ZGpmgMHvg5 V41vUpgrade naar KadastraleKaart Pro
SHu5cvempqfvRUpgrade naar KadastraleKaart Pro
ElDUANMcg8 z7jeQMzhUpgrade naar KadastraleKaart Pro
z8stNda5ovl1zdeV5jtZiZUpgrade naar KadastraleKaart Pro
g Ti5 UC2Upgrade naar KadastraleKaart Pro
ogugqINOUpgrade naar KadastraleKaart Pro
HBIZeZfL9ZAL7vYUpgrade naar KadastraleKaart Pro
mT JT BAdnnPVg lDFEUpgrade naar KadastraleKaart Pro
18/01/2002

Percelen
Gebruik de zoekbalk of klik op een perceel om informatie over het perceel te bekijken.