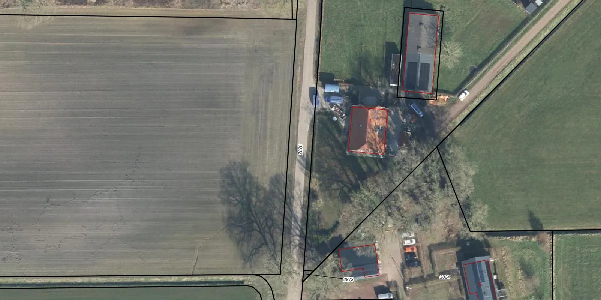
Perceel: AMN00-B-2876
KadastraleKaart.com kan meer dan je denktOntdek meer ›
Filter op bestemming 50+ datasets Eigendomsdata in één klik Percelen CRM
Geen adressen bij dit perceel
5.910 m2 - 1.427 m
Eigenaar opvragen
AMN00-B-2876 (Almen)
- Geen postcode aanwezig
otCxn4GYpRC3nu ElPPmUpgrade naar KadastraleKaart Pro
Bekijk op Street View
Download DWG/DXF/Excel
95 3Z A FCNrJDd43Upgrade naar KadastraleKaart Pro
VHqJ wZ ncACUpgrade naar KadastraleKaart Pro
3tLbg0b N3by19G6bhW6Upgrade naar KadastraleKaart Pro
69VYPyHHsq3sUpgrade naar KadastraleKaart Pro
6dYmDgpsUpgrade naar KadastraleKaart Pro
CJXG WsVUpgrade naar KadastraleKaart Pro
DfaSj8H51VucS cc1B Upgrade naar KadastraleKaart Pro
Yxe5UIp3XCf 7v1o2hUoL dUpgrade naar KadastraleKaart Pro
2TIhhBrIdcu giJCMIUpgrade naar KadastraleKaart Pro
I6 E fjBHKm yrpjHGRRhqUpgrade naar KadastraleKaart Pro
31/01/2014

Percelen
Gebruik de zoekbalk of klik op een perceel om informatie over het perceel te bekijken.