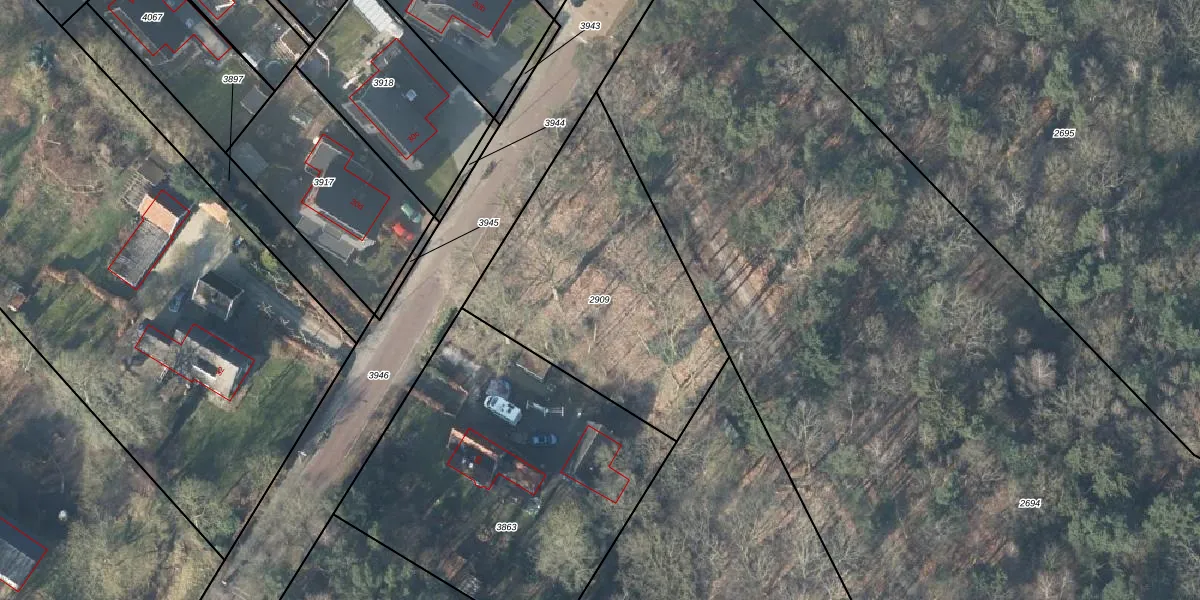
Perceel: AMN00-B-2909
KadastraleKaart.com kan meer dan je denktOntdek meer ›
Filter op bestemming 50+ datasets Eigendomsdata in één klik Percelen CRM
Geen adressen bij dit perceel
1.195 m2 - 151 m
Eigenaar opvragen
AMN00-B-2909 (Almen)
- Geen postcode aanwezig
mXiFsMsSopaLdc9Upgrade naar KadastraleKaart Pro
Bekijk op Street View
Download DWG/DXF/Excel
iajcVCaao d1 5Li 9DrMtUpgrade naar KadastraleKaart Pro
7zocRT6fx0POozo11d2jUpgrade naar KadastraleKaart Pro
Uyn4V OL3us IUpgrade naar KadastraleKaart Pro
6a EuklyUpgrade naar KadastraleKaart Pro
QvAzhixJyEygt4jU2Upgrade naar KadastraleKaart Pro
dpAMR UZbMZE5dm y6 N3dCUpgrade naar KadastraleKaart Pro
HW7UtJS iFDWCUdU9BzUpgrade naar KadastraleKaart Pro
6p9by9m1RbUpgrade naar KadastraleKaart Pro
PKV4LTUDuEfvYUpgrade naar KadastraleKaart Pro
Z65XMv6CSMFnUpgrade naar KadastraleKaart Pro
07/02/2014

Percelen
Gebruik de zoekbalk of klik op een perceel om informatie over het perceel te bekijken.