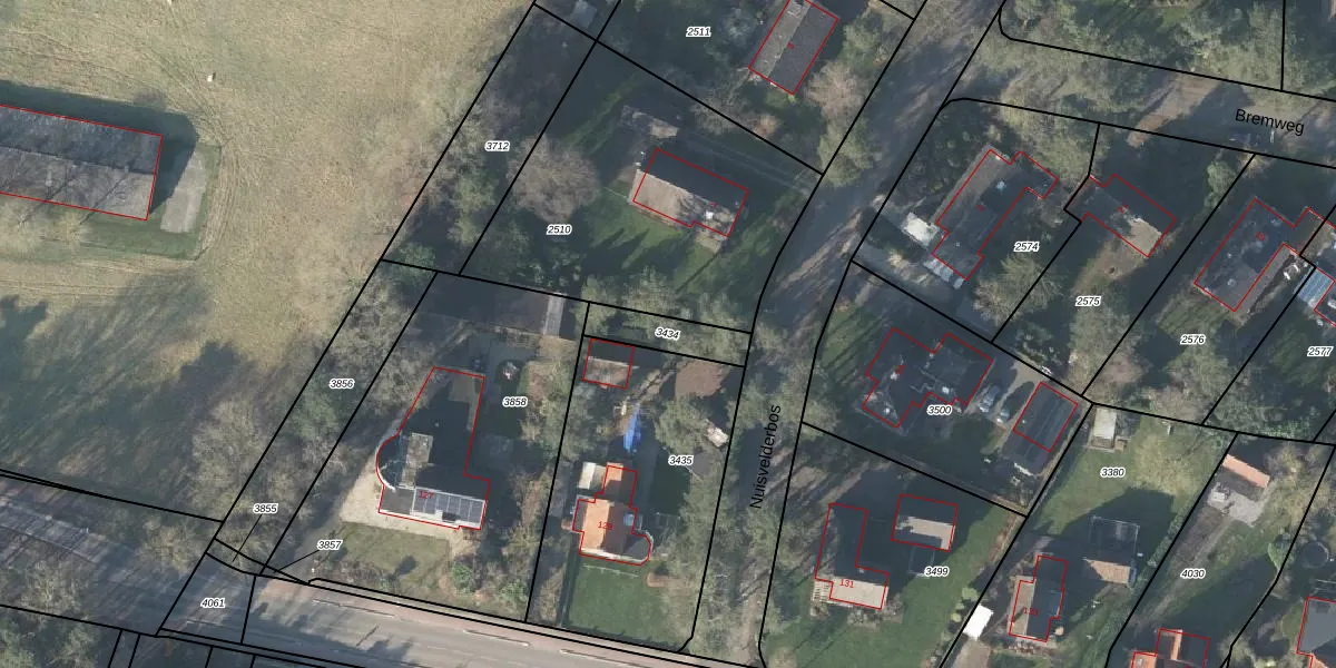
Perceel: AMN00-B-3434
KadastraleKaart.com kan meer dan je denktOntdek meer ›
Filter op bestemming 50+ datasets Eigendomsdata in één klik Percelen CRM
Geen adressen bij dit perceel
125 m2 - 60 m
Eigenaar opvragen
AMN00-B-3434 (Almen)
- Geen postcode aanwezig
xjF6RyUBy79IgQnSUmwayZUpgrade naar KadastraleKaart Pro
Bekijk op Street View
Download DWG/DXF/Excel
7B86jCOfNCP Kmr1V2K Upgrade naar KadastraleKaart Pro
SYHPxBGIwjHUpgrade naar KadastraleKaart Pro
ukex7X G8ZwuvsJbUpgrade naar KadastraleKaart Pro
j8GXIsbI I3LJMSyE3ewUpgrade naar KadastraleKaart Pro
U0nxBol58KztY mwazi4Upgrade naar KadastraleKaart Pro
ksX9TVIJ8cCe36Bch9Upgrade naar KadastraleKaart Pro
4Ha7 VmqXgQFOyUpgrade naar KadastraleKaart Pro
aQ LQtOhc6 Upgrade naar KadastraleKaart Pro
jG5rimA7FEamxwlxh1C1BTUpgrade naar KadastraleKaart Pro
asxFmlpZ4PNRq7cYBRrbjuUpgrade naar KadastraleKaart Pro
28/08/2001

Percelen
Gebruik de zoekbalk of klik op een perceel om informatie over het perceel te bekijken.