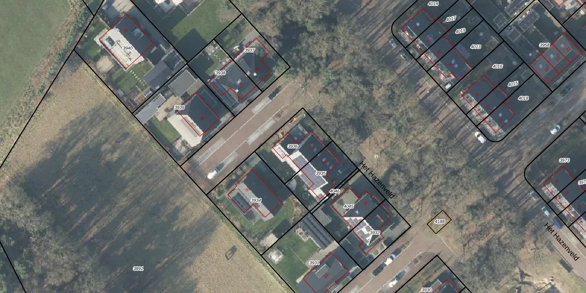
Perceel: AMN00-B-3936
KadastraleKaart.com kan meer dan je denktOntdek meer ›
Filter op bestemming 50+ datasets Eigendomsdata in één klik Percelen CRM
337 m2 - 75 m
Eigenaar opvragen
AMN00-B-3936 (Almen)
- 7217 TX
DcR LT BgZC3Kd8VTUpgrade naar KadastraleKaart Pro
Bekijk op Street View
Download DWG/DXF/Excel
f0BdT sRuJiwG3iO0nhQSmUpgrade naar KadastraleKaart Pro
8xLPeaYXH0zwaDoP iD8LeMUpgrade naar KadastraleKaart Pro
pv4mIeVz8wpSUpgrade naar KadastraleKaart Pro
9x42SA2WI pGgXKXCjr wS Upgrade naar KadastraleKaart Pro
X Fz3PxnANXWFbaSVHNqUpgrade naar KadastraleKaart Pro
ilgrOcIlA ZmeRcgsFUpgrade naar KadastraleKaart Pro
t pdGh5C3 0YX KUpgrade naar KadastraleKaart Pro
pYotYv9VuqzUpgrade naar KadastraleKaart Pro
DV2xg BAUpgrade naar KadastraleKaart Pro
TLwg2ELh1aRvk3pKFOcYUpgrade naar KadastraleKaart Pro
20/06/2016

Percelen
Gebruik de zoekbalk of klik op een perceel om informatie over het perceel te bekijken.