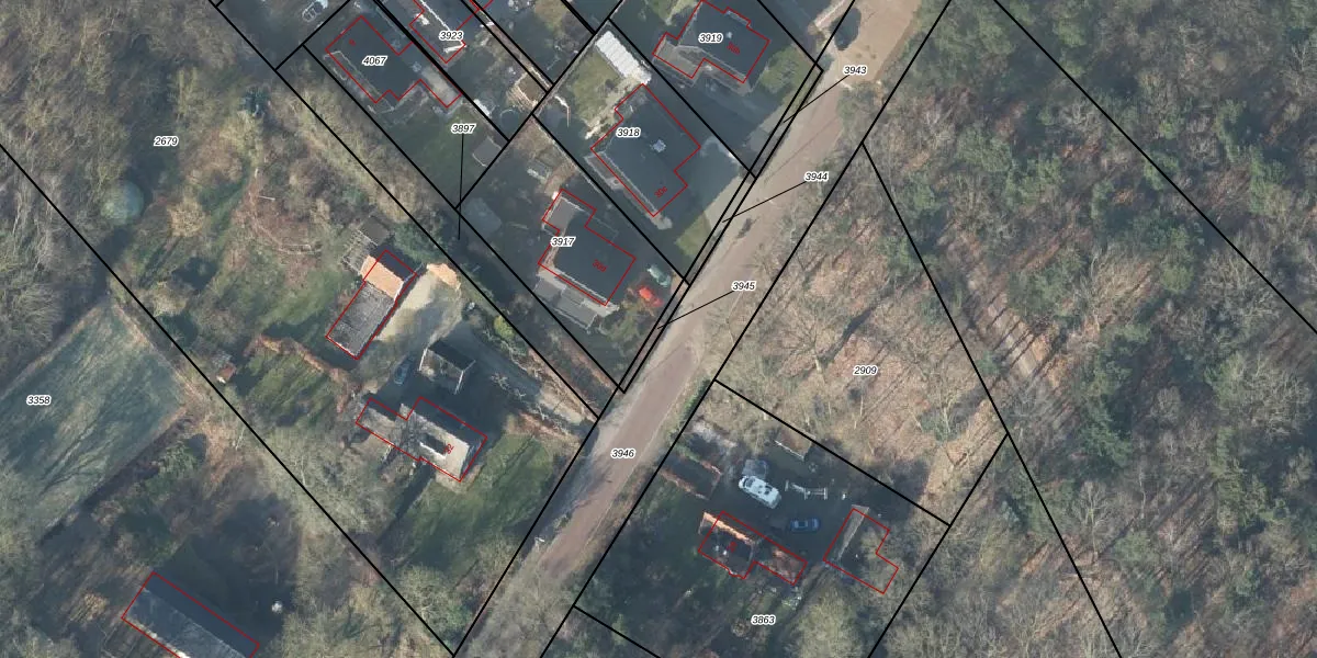
Perceel: AMN00-B-3945
KadastraleKaart.com kan meer dan je denktOntdek meer ›
Filter op bestemming 50+ datasets Eigendomsdata in één klik Percelen CRM
Geen adressen bij dit perceel
24 m2 - 41 m
Eigenaar opvragen
AMN00-B-3945 (Almen)
- Geen postcode aanwezig
UbK XMI0sq s2GIxRwCY45Upgrade naar KadastraleKaart Pro
Bekijk op Street View
Download DWG/DXF/Excel
77ptpXkN MziYAUpgrade naar KadastraleKaart Pro
IN I tdizXUpgrade naar KadastraleKaart Pro
908m G Q YCMUpgrade naar KadastraleKaart Pro
tPHLmKC9cwOm9 KmOKUVUpgrade naar KadastraleKaart Pro
0FIhv1JhAScol5S2qFlREUpgrade naar KadastraleKaart Pro
0j6GED wAJWUpgrade naar KadastraleKaart Pro
i 87CY2B7MHmqN37Upgrade naar KadastraleKaart Pro
sGBo6Z JQF94gmoUbf4 tWUpgrade naar KadastraleKaart Pro
N5g0HA4f0Upgrade naar KadastraleKaart Pro
kVSf TGDtojTFqRudeGUpgrade naar KadastraleKaart Pro
22/06/2016

Percelen
Gebruik de zoekbalk of klik op een perceel om informatie over het perceel te bekijken.