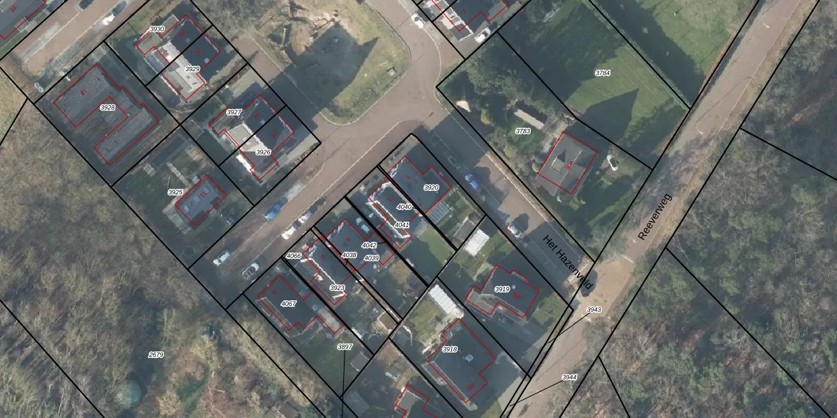
Perceel: AMN00-B-4040
Geen adressen bij dit perceel
11 m2 - 57 m
Eigenaar opvragen
AMN00-B-4040 (Almen)
- Geen postcode aanwezig
3xmrxmKigbIA7 R0 Oh20Upgrade naar KadastraleKaart Pro
Bekijk op Street View
Download DWG/DXF/Excel
wwZFbrk8b27jidIAiJf HFTUpgrade naar KadastraleKaart Pro
PmE 0gMohtUpgrade naar KadastraleKaart Pro
V4P9OucpqtF QrcC4LUpgrade naar KadastraleKaart Pro
CLlMkd7JtcUpgrade naar KadastraleKaart Pro
LecXdGzHTHUar4 XUpgrade naar KadastraleKaart Pro
oQ L1EA0HK0PNoHUpgrade naar KadastraleKaart Pro
mv63 RNX js giUpgrade naar KadastraleKaart Pro
HSZ0uxuhpo9r2 zKQB0owEUpgrade naar KadastraleKaart Pro
QrwWB927NuIyUpgrade naar KadastraleKaart Pro
1 bDPqa2v2GmncKUpgrade naar KadastraleKaart Pro
04/02/2020

Percelen
Gebruik de zoekbalk of klik op een perceel om informatie over het perceel te bekijken.