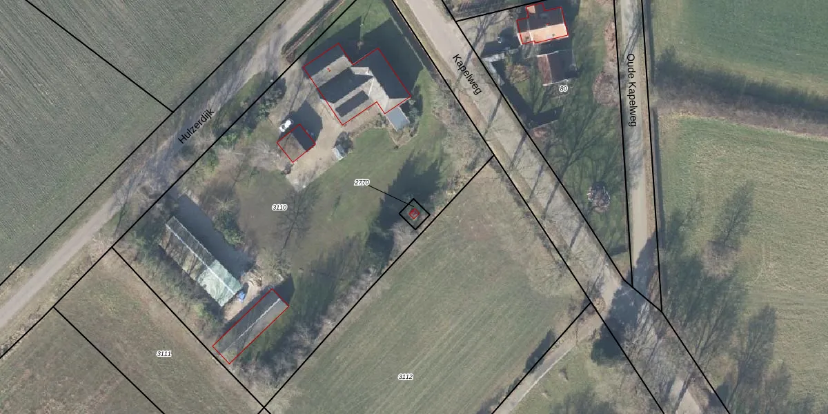
Perceel: AMN00-C-2770
KadastraleKaart.com kan meer dan je denktOntdek meer ›
Filter op bestemming 50+ datasets Eigendomsdata in één klik Percelen CRM
28 m2 - 21 m
Eigenaar opvragen
AMN00-C-2770 (Almen)
- 7218 NJ
pEAghFOom 1 Nkduo61S1sUpgrade naar KadastraleKaart Pro
Bekijk op Street View
Download DWG/DXF/Excel
QQJnxkhHAv ch4rxUpgrade naar KadastraleKaart Pro
m6CPu7Or Dc0Upgrade naar KadastraleKaart Pro
sFrMHmmzvGAEx fuyVMXGUpgrade naar KadastraleKaart Pro
EcurMgt l9Y66J3TUpgrade naar KadastraleKaart Pro
F4EHUFp3IS3cn Upgrade naar KadastraleKaart Pro
5KoYVTmYEKSQ5KfTZrUpgrade naar KadastraleKaart Pro
zT9h S48Kv1Upgrade naar KadastraleKaart Pro
bLZ4 oRweUpgrade naar KadastraleKaart Pro
S6GRA7oaUpgrade naar KadastraleKaart Pro
U UWuMLKvo6XYC lMneTJ Upgrade naar KadastraleKaart Pro
01/11/2001

Percelen
Gebruik de zoekbalk of klik op een perceel om informatie over het perceel te bekijken.