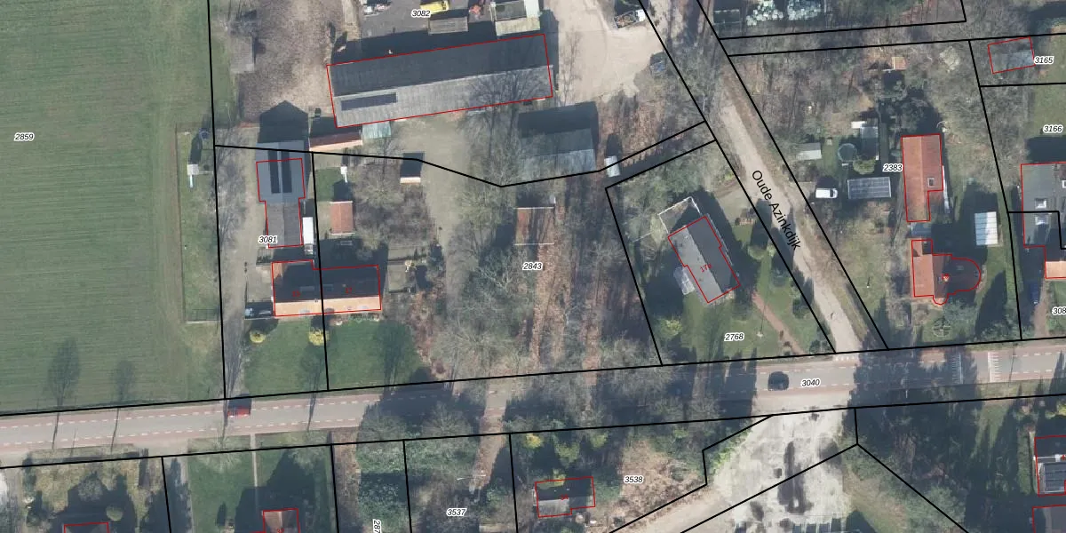
Perceel: AMN00-C-2843
KadastraleKaart.com kan meer dan je denktOntdek meer ›
Filter op bestemming 50+ datasets Eigendomsdata in één klik Percelen CRM
2.440 m2 - 246 m
Eigenaar opvragen
AMN00-C-2843 (Almen)
- 7218 MT
WN5BjqiTSNdNMKC NIKE9u2jUJFcBhUpgrade naar KadastraleKaart Pro
Verkoopprijs opvragen
Bekijk op Street View
Download DWG/DXF/Excel
vfnJMaz Vv3KFDD5vIGUpgrade naar KadastraleKaart Pro
rbt5e o3 E5uItNUpgrade naar KadastraleKaart Pro
clVTdI5mJmp1LvIajg pGUpgrade naar KadastraleKaart Pro
1yIvIn6vIoJJMSO LjG1D4Upgrade naar KadastraleKaart Pro
0bHEfnwfDXYk3i plCHGUpgrade naar KadastraleKaart Pro
QMTHuEPhDOW7uMsYRexUpgrade naar KadastraleKaart Pro
Q7eFZ1qBUpgrade naar KadastraleKaart Pro
mRbAa7Y P1AvwsgoTXD3Upgrade naar KadastraleKaart Pro
N5TXzxIg5QXyXUFOEairWfdUpgrade naar KadastraleKaart Pro
1kNPbEt0oRPUpgrade naar KadastraleKaart Pro
04/12/2001

Percelen
Gebruik de zoekbalk of klik op een perceel om informatie over het perceel te bekijken.