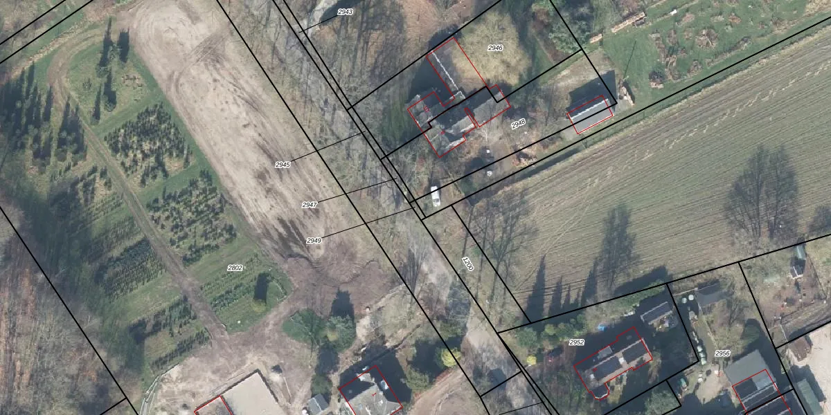
Perceel: AMN00-C-2949
KadastraleKaart.com kan meer dan je denktOntdek meer ›
Filter op bestemming 50+ datasets Eigendomsdata in één klik Percelen CRM
Geen adressen bij dit perceel
5 m2 - 13 m
Eigenaar opvragen
AMN00-C-2949 (Almen)
- Geen postcode aanwezig
J71HdB6LAmINHpgnFACXlFUpgrade naar KadastraleKaart Pro
Bekijk op Street View
Download DWG/DXF/Excel
MCLh ouzGL1vu nmPRMkq5YUpgrade naar KadastraleKaart Pro
9CrzYl CD8SnW3KRSOF8UUpgrade naar KadastraleKaart Pro
rRSlZUi AlJZNbnMY eUpgrade naar KadastraleKaart Pro
KNDG9Z7nYW3ZauQ Upgrade naar KadastraleKaart Pro
lshsN BdUwd Upgrade naar KadastraleKaart Pro
4QxnmqZLftfIUpgrade naar KadastraleKaart Pro
iW7 6K U oT 8OkeXVSTrUpgrade naar KadastraleKaart Pro
x8SqBGu0wgi8zCt MUpgrade naar KadastraleKaart Pro
Em6 GvBbV0shgna1qd1hCfMUpgrade naar KadastraleKaart Pro
pDwUhwMpU0 FdLrLrr23LUpgrade naar KadastraleKaart Pro
01/11/2001

Percelen
Gebruik de zoekbalk of klik op een perceel om informatie over het perceel te bekijken.