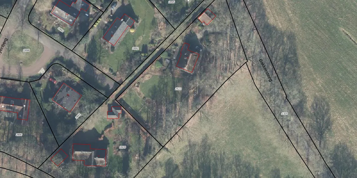
Perceel: AMN00-D-2513
KadastraleKaart.com kan meer dan je denktOntdek meer ›
Filter op bestemming 50+ datasets Eigendomsdata in één klik Percelen CRM
2.875 m2 - 231 m
Eigenaar opvragen
AMN00-D-2513 (Almen)
- 7218 BM
u3 YW1Iuy9 plAjNu4 BGhEk070dUpgrade naar KadastraleKaart Pro
Bekijk op Street View
Download DWG/DXF/Excel
h6D ZFXJ0Upgrade naar KadastraleKaart Pro
b oPh1s7dKa5y3P jrRUpgrade naar KadastraleKaart Pro
8j8Fl4CQeyor Upgrade naar KadastraleKaart Pro
hjQV tdfj8ljvBk6Q1oUpgrade naar KadastraleKaart Pro
JgcXr JyUpgrade naar KadastraleKaart Pro
BDiw NcshtW0A73JaUpgrade naar KadastraleKaart Pro
w79l5d6JX5f Upgrade naar KadastraleKaart Pro
i6Sp9QxSpL gUpgrade naar KadastraleKaart Pro
eCiCklpaiFwtEQ0BiUpgrade naar KadastraleKaart Pro
thHH544mLfKUpgrade naar KadastraleKaart Pro
04/02/2002

Percelen
Gebruik de zoekbalk of klik op een perceel om informatie over het perceel te bekijken.