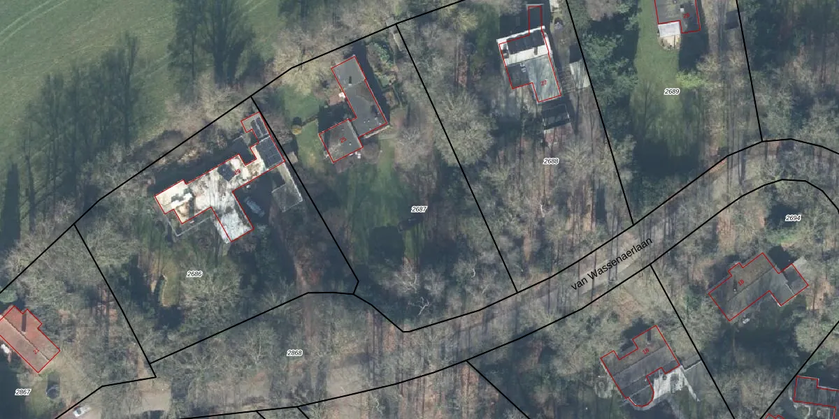
Perceel: AMN00-D-2687
KadastraleKaart.com kan meer dan je denktOntdek meer ›
Filter op bestemming 50+ datasets Eigendomsdata in één klik Percelen CRM
2.510 m2 - 208 m
Eigenaar opvragen
AMN00-D-2687 (Almen)
- 7218 AT
rcBhgDaWTVne9JuZejwBYbL0Sv 04HiUpgrade naar KadastraleKaart Pro
Bekijk op Street View
Download DWG/DXF/Excel
E6QVD4BYUpgrade naar KadastraleKaart Pro
A7dsSV4ioVju 1Upgrade naar KadastraleKaart Pro
46EqG1B qfUpgrade naar KadastraleKaart Pro
U7S yJew95T OT1SDxIz2Upgrade naar KadastraleKaart Pro
EDckVmzKwUpgrade naar KadastraleKaart Pro
yGkNiHyI7H6NZCnSCmjEDsGUpgrade naar KadastraleKaart Pro
52KJP2hmTccI XSYAYc9ZEUpgrade naar KadastraleKaart Pro
9QP JWpUpgrade naar KadastraleKaart Pro
0p8lQxWSU Q 3qAEapPUpgrade naar KadastraleKaart Pro
GK0WCVqEWMhbiUpgrade naar KadastraleKaart Pro
04/02/2002

Percelen
Gebruik de zoekbalk of klik op een perceel om informatie over het perceel te bekijken.