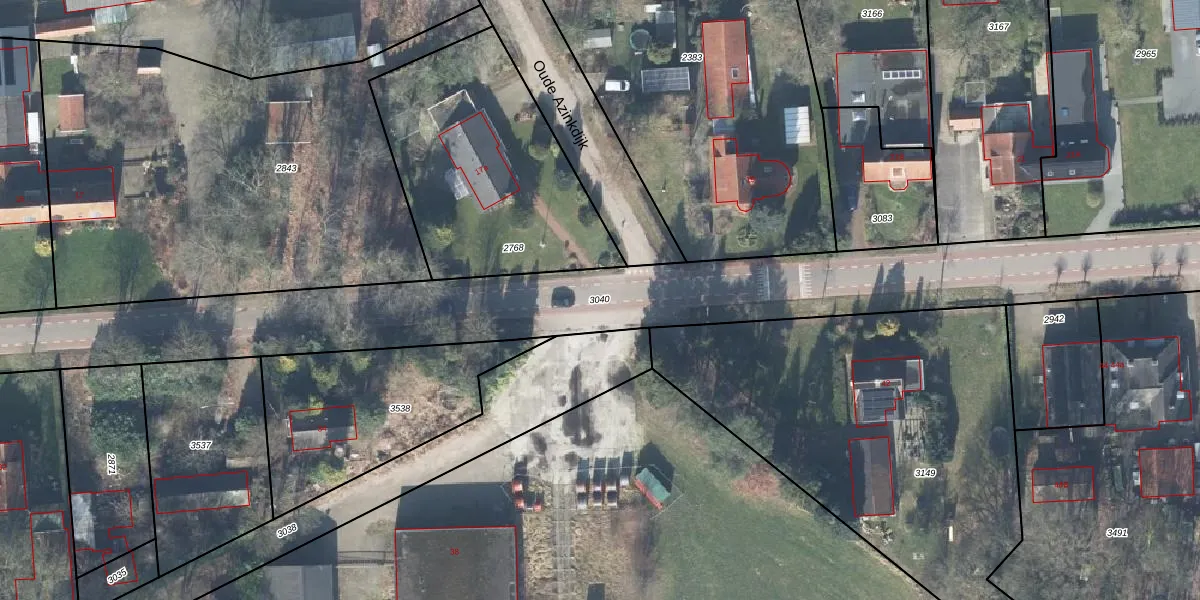
Perceel: AMN00-D-3040
KadastraleKaart.com kan meer dan je denktOntdek meer ›
Filter op bestemming 50+ datasets Eigendomsdata in één klik Percelen CRM
Geen adressen bij dit perceel
5.157 m2 - 1.032 m
Eigenaar opvragen
AMN00-D-3040 (Almen)
- Geen postcode aanwezig
h2wSZ5Bp26kHiw6ixZvpjpnPXx3XUpgrade naar KadastraleKaart Pro
Bekijk op Street View
Download DWG/DXF/Excel
lLv PurQ88E pdJoPk9tBqRUpgrade naar KadastraleKaart Pro
wbaNFEV9g1Upgrade naar KadastraleKaart Pro
l9LK3uQgGrARiwUpgrade naar KadastraleKaart Pro
wM M6rvnUpgrade naar KadastraleKaart Pro
45 oB7siqNLtYUpgrade naar KadastraleKaart Pro
cjT2WWe5evtXGahUpgrade naar KadastraleKaart Pro
YIF8ma2WtxDUpgrade naar KadastraleKaart Pro
62 ZxgTSFu3S FN7fpUpgrade naar KadastraleKaart Pro
mF0VnmTZ2bIBXKJ 3cpUpgrade naar KadastraleKaart Pro
wpCblBoXtUpgrade naar KadastraleKaart Pro
06/11/2025

Percelen
Gebruik de zoekbalk of klik op een perceel om informatie over het perceel te bekijken.