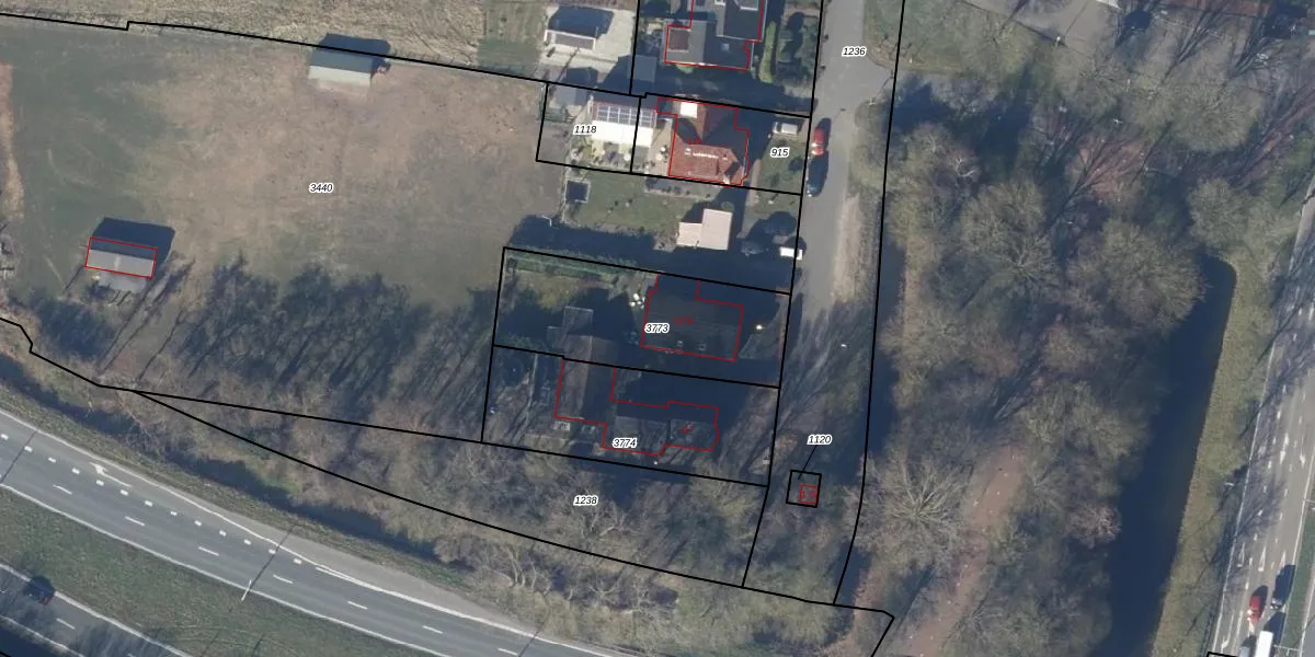
Perceel: AMR01-L-3773
660 m2 - 118 m
Eigenaar opvragen
AMR01-L-3773 (Alkmaar)
- 1822 AD
VvffJeVBSFED6FgPdRYTIcRfNd ZUpgrade naar KadastraleKaart Pro
Bekijk op Street View
Download DWG/DXF/Excel
Ih pj RTbMYSZUpgrade naar KadastraleKaart Pro
OyFkwRUcxzRqUpgrade naar KadastraleKaart Pro
OfRyGrE7 7Jk6 JJUpgrade naar KadastraleKaart Pro
HYPLZI96CWQBF6prB Upgrade naar KadastraleKaart Pro
Ldq1uH0pVIUWipiMLFT ZhUpgrade naar KadastraleKaart Pro
CKUUsiSn l Upgrade naar KadastraleKaart Pro
9bSEg2VLtDd0K RQIzUR Upgrade naar KadastraleKaart Pro
bjn G7xACeMOUpgrade naar KadastraleKaart Pro
5TeRI5yOVUpgrade naar KadastraleKaart Pro
0 8JLNb0kTUpgrade naar KadastraleKaart Pro
17/09/2014

Percelen
Gebruik de zoekbalk of klik op een perceel om informatie over het perceel te bekijken.