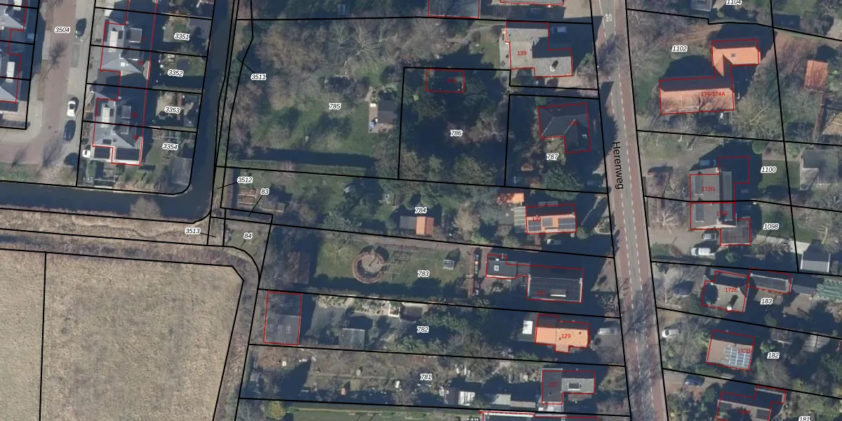
Perceel: AMR01-L-784
1.240 m2 - 213 m
Eigenaar opvragen
AMR01-L-784 (Alkmaar)
- 1822 AD
W1c7VOHWU7h5tkoSkaOtwZFb Upgrade naar KadastraleKaart Pro
Verkoopprijs opvragen
Bekijk op Street View
Download DWG/DXF/Excel
e fujKLBgX BCf1DL FpUpgrade naar KadastraleKaart Pro
agcoK R 1EUpgrade naar KadastraleKaart Pro
y8LwBoQ2hLHRsaSKpUpgrade naar KadastraleKaart Pro
ei1fwm to9IF 2zTUgcdUpgrade naar KadastraleKaart Pro
XSlM YfM1Yh LWlAkdJ Upgrade naar KadastraleKaart Pro
l5 aJZV7zUPf2ijXYqTuG8Upgrade naar KadastraleKaart Pro
hGO HE9L d Upgrade naar KadastraleKaart Pro
TcjrQo0aUpgrade naar KadastraleKaart Pro
6bXsZAG3FUpgrade naar KadastraleKaart Pro
9CjVKOlB mxOpaaZUa0DZUpgrade naar KadastraleKaart Pro
10/11/2010

Percelen
Gebruik de zoekbalk of klik op een perceel om informatie over het perceel te bekijken.