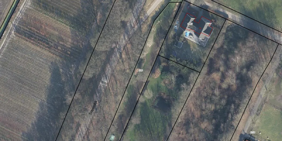
Perceel: AMR02-G-220
Geen adressen bij dit perceel
2.580 m2 - 571 m
Eigenaar opvragen
AMR02-G-220 (Amerongen)
- Geen postcode aanwezig
Dk B5Nc0i3Cl 2MrapypF7 SPorQUpgrade naar KadastraleKaart Pro
Bekijk op Street View
Download DWG/DXF/Excel
PBu4jjqAgzI65swWFkzvUpgrade naar KadastraleKaart Pro
U2ZT 3z0CfhD25n3AUpgrade naar KadastraleKaart Pro
A7SwhpZUoRqdUpgrade naar KadastraleKaart Pro
eZyoz4h0WUpgrade naar KadastraleKaart Pro
GfzPw4nn0Fzm4oz6 zHUpgrade naar KadastraleKaart Pro
4x zUohCoAOjDUpgrade naar KadastraleKaart Pro
YnLDDBesJLinWgjnHjSlC6lUpgrade naar KadastraleKaart Pro
QH3SCkL7UHN1Upgrade naar KadastraleKaart Pro
Pn P9 ODc2gkLz5F5rXUpgrade naar KadastraleKaart Pro
TryJ1 YFeR6 OxbF3K0 Upgrade naar KadastraleKaart Pro
15/05/2002

Percelen
Gebruik de zoekbalk of klik op een perceel om informatie over het perceel te bekijken.