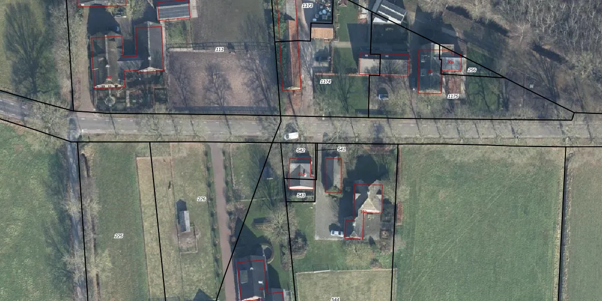
Perceel: AMR02-G-542
138 m2 - 46 m
Eigenaar opvragen
AMR02-G-542 (Amerongen)
- 3959 AR
f oa12bbku0DFcxTMm O3xFNYUpgrade naar KadastraleKaart Pro
Bekijk op Street View
Download DWG/DXF/Excel
1yCDocKuRUpgrade naar KadastraleKaart Pro
LtneZs8QwiERI 6WsFOQUCUpgrade naar KadastraleKaart Pro
RL8F9SQl3zqyxSiUpgrade naar KadastraleKaart Pro
Rvh2X IJZ we3MvUpgrade naar KadastraleKaart Pro
UTauQhn2hZWSDYC0Eqd6Upgrade naar KadastraleKaart Pro
r pixnvd3drB48poGPUpgrade naar KadastraleKaart Pro
DGN5jLstX jzklxUpgrade naar KadastraleKaart Pro
C ltACoih0 verjpaSUpgrade naar KadastraleKaart Pro
Li5Plzvl9tT5rGv4hUpgrade naar KadastraleKaart Pro
2i9BakfP5T6KUpgrade naar KadastraleKaart Pro
10/04/2002

Percelen
Gebruik de zoekbalk of klik op een perceel om informatie over het perceel te bekijken.