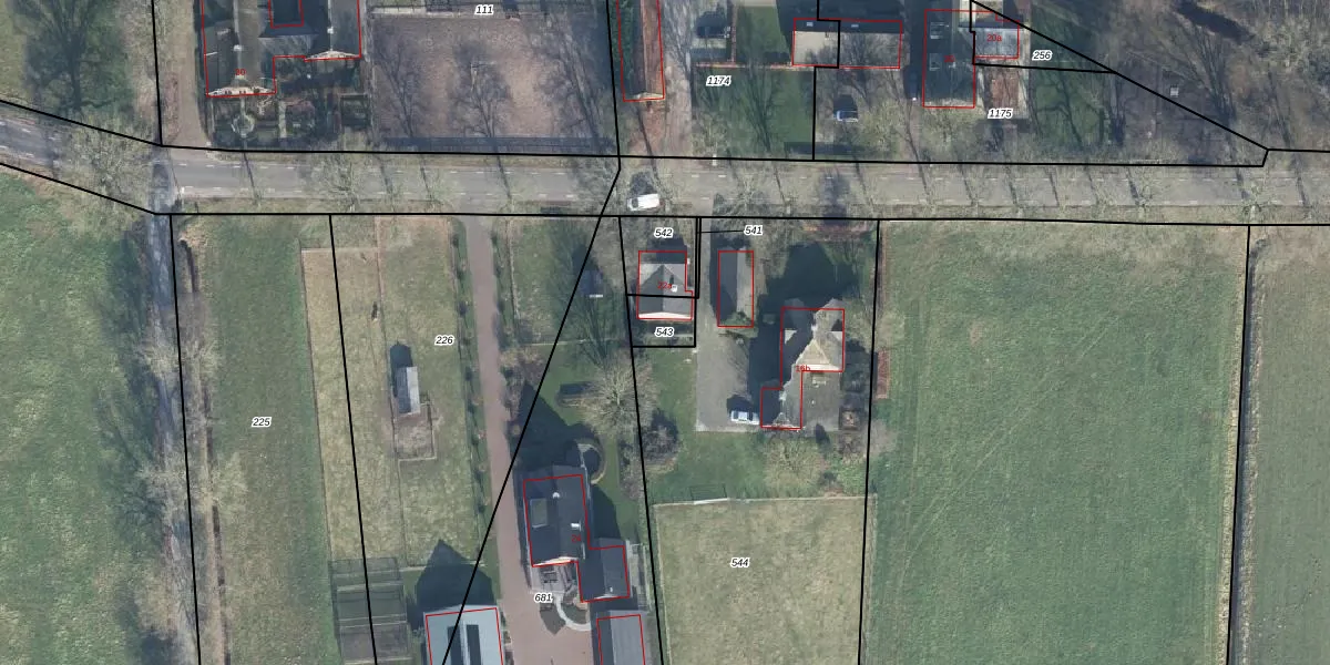
Perceel: AMR02-G-543
Geen adressen bij dit perceel
71 m2 - 35 m
Eigenaar opvragen
AMR02-G-543 (Amerongen)
- Geen postcode aanwezig
DyUv9LfMX8vmZXS yz mZ74Upgrade naar KadastraleKaart Pro
Bekijk op Street View
Download DWG/DXF/Excel
8L5KWE4JH3j3G3eoUpgrade naar KadastraleKaart Pro
wCLCl2PpUpgrade naar KadastraleKaart Pro
tkhaXP0pdrSwCUpgrade naar KadastraleKaart Pro
pRi0JT 4SDlIB3v5 1Upgrade naar KadastraleKaart Pro
N0lu BVFFUpgrade naar KadastraleKaart Pro
EW6Tp 7TUZgUpgrade naar KadastraleKaart Pro
AT62nZFaPC1Upgrade naar KadastraleKaart Pro
Z PAmdg1K78jUpgrade naar KadastraleKaart Pro
VkjWhu6figopkXbUpgrade naar KadastraleKaart Pro
LEO7pzS8NDWS0qMnUpgrade naar KadastraleKaart Pro
10/04/2002

Percelen
Gebruik de zoekbalk of klik op een perceel om informatie over het perceel te bekijken.