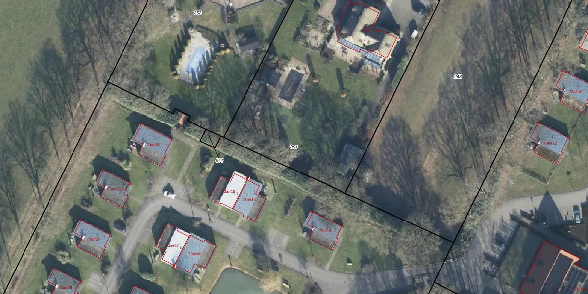
Perceel: AMR02-G-854
3.300 m2 - 237 m
Eigenaar opvragen
AMR02-G-854 (Amerongen)
- 3959 AE
JMM EIsIl55 MyKL c8fzAqAzzWDUUpgrade naar KadastraleKaart Pro
Bekijk op Street View
Download DWG/DXF/Excel
kEa 5x QSUpgrade naar KadastraleKaart Pro
tJYcGzmjfd lRHW5Upgrade naar KadastraleKaart Pro
5z75t R2AAdB Upgrade naar KadastraleKaart Pro
d JrHqP hQjTt4Ye81DUpgrade naar KadastraleKaart Pro
M9gAhMPbzMHyX wM 9 EUpgrade naar KadastraleKaart Pro
LR3z G zU1XkQyWUpgrade naar KadastraleKaart Pro
7sq2E3o OeuRmcFkFUpgrade naar KadastraleKaart Pro
MsQu9UL6cVaiUpgrade naar KadastraleKaart Pro
K k9d0lQTUULEFLJDmsXUpgrade naar KadastraleKaart Pro
pLqywRbUpgrade naar KadastraleKaart Pro
21/08/2012

Percelen
Gebruik de zoekbalk of klik op een perceel om informatie over het perceel te bekijken.