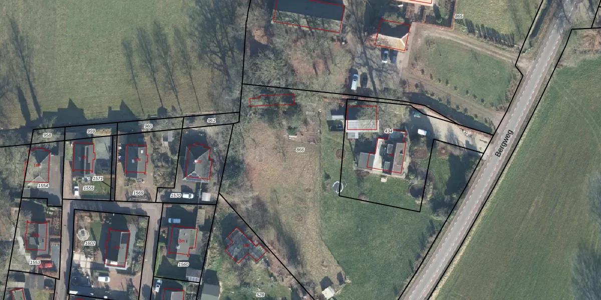
Perceel: AMR02-G-866
Geen adressen bij dit perceel
3.655 m2 - 402 m
Eigenaar opvragen
AMR02-G-866 (Amerongen)
- Geen postcode aanwezig
a7S6mWcovXrgUZlO bO9VH6XvZ0HUpgrade naar KadastraleKaart Pro
Bekijk op Street View
Download DWG/DXF/Excel
8y3lxV RCq6JUvoZvIchhUpgrade naar KadastraleKaart Pro
0B imm 0N US6mjobWW91oUpgrade naar KadastraleKaart Pro
yAsrs1SAUpgrade naar KadastraleKaart Pro
DxIjxAw0Fgt7Ls Upgrade naar KadastraleKaart Pro
bhEL nfeb Upgrade naar KadastraleKaart Pro
L29xPkPoUpgrade naar KadastraleKaart Pro
hm4lAXN dZ oXUUpgrade naar KadastraleKaart Pro
wzZl4NTLLRg8yUpgrade naar KadastraleKaart Pro
bCRfd93 Upgrade naar KadastraleKaart Pro
cIJLJdeax2CJK0Eff2jHF3Upgrade naar KadastraleKaart Pro
13/12/2010

Percelen
Gebruik de zoekbalk of klik op een perceel om informatie over het perceel te bekijken.