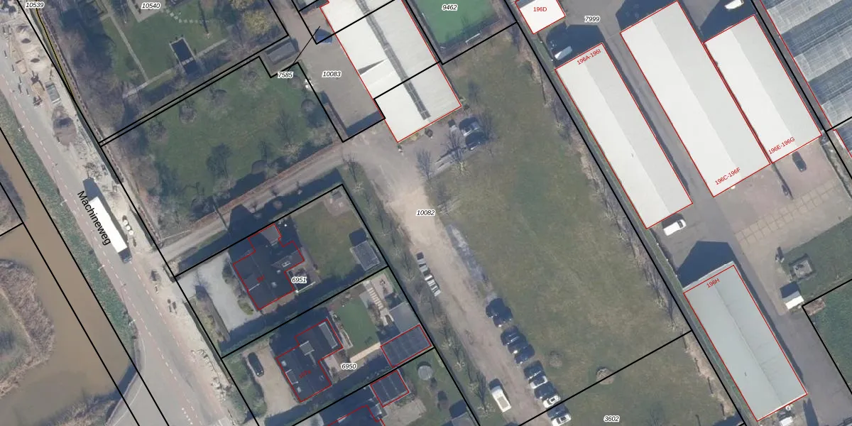
Perceel: AMR03-B-10082
KadastraleKaart.com kan meer dan je denktOntdek meer ›
Filter op bestemming 50+ datasets Eigendomsdata in één klik Percelen CRM
Geen adressen bij dit perceel
6.265 m2 - 433 m
Eigenaar opvragen
AMR03-B-10082 (Aalsmeer)
- Geen postcode aanwezig
6g7C4C9D5Brxs6h3TcyKZ YRIN cpUpgrade naar KadastraleKaart Pro
Bekijk op Street View
Download DWG/DXF/Excel
2X3g1JO1nnUpgrade naar KadastraleKaart Pro
LuVAK aRKmXX5zwMGSVo xUpgrade naar KadastraleKaart Pro
nxr2qlEq9Upgrade naar KadastraleKaart Pro
mXuj3ONP2y9beUpgrade naar KadastraleKaart Pro
1pGw 67IAJqGUpgrade naar KadastraleKaart Pro
SV26FkGR Upgrade naar KadastraleKaart Pro
JENsp9fJ5EjUpgrade naar KadastraleKaart Pro
RMxffXNA X0CFt1Upgrade naar KadastraleKaart Pro
TCosoHZPtDHzEtUpgrade naar KadastraleKaart Pro
YGqgruH opKjkwiYj QjCUpgrade naar KadastraleKaart Pro
16/04/2020

Percelen
Gebruik de zoekbalk of klik op een perceel om informatie over het perceel te bekijken.