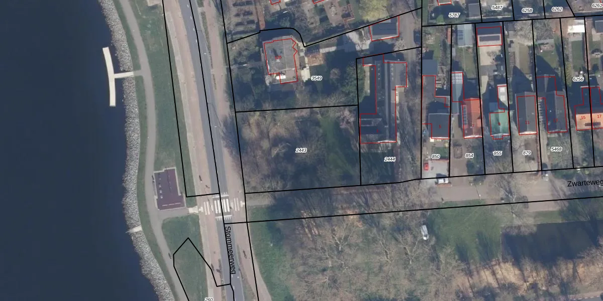
Perceel: AMR03-C-2443
KadastraleKaart.com kan meer dan je denktOntdek meer ›
Filter op bestemming 50+ datasets Eigendomsdata in één klik Percelen CRM
Geen adressen bij dit perceel
1.068 m2 - 133 m
Eigenaar opvragen
AMR03-C-2443 (Aalsmeer)
- Geen postcode aanwezig
9i7ZEwU fW6Vmy Upgrade naar KadastraleKaart Pro
Bekijk op Street View
Download DWG/DXF/Excel
s8SVrtBJq cQZ4Upgrade naar KadastraleKaart Pro
k6OURs SGhUpgrade naar KadastraleKaart Pro
UC dcJcOGZfY6tu2PUpgrade naar KadastraleKaart Pro
lVKqni 5UnTHV 6wXUpgrade naar KadastraleKaart Pro
8RB YHA5p4VsWR9rlpK8Upgrade naar KadastraleKaart Pro
6E Uzy9lzLmH ZV2mNUpgrade naar KadastraleKaart Pro
FR9D74sfUpgrade naar KadastraleKaart Pro
kUROo9aANUpgrade naar KadastraleKaart Pro
WSM1YzOqh5V au8eAUpgrade naar KadastraleKaart Pro
4CW 7I5id1Os2ihOgzGdUpgrade naar KadastraleKaart Pro
07/10/2004

Percelen
Gebruik de zoekbalk of klik op een perceel om informatie over het perceel te bekijken.