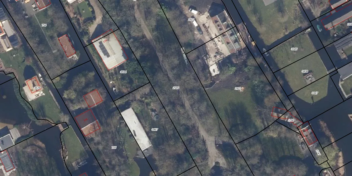
Perceel: AMR03-H-2545
KadastraleKaart.com kan meer dan je denktOntdek meer ›
Filter op bestemming 50+ datasets Eigendomsdata in één klik Percelen CRM
4.010 m2 - 412 m
Eigenaar opvragen
AMR03-H-2545 (Aalsmeer)
- 1431 AA
keZ5VPnuss OjCmbYEUpgrade naar KadastraleKaart Pro
Bekijk op Street View
Download DWG/DXF/Excel
14eK6B0Iec5bzRV2FYRUpgrade naar KadastraleKaart Pro
bod ttedo c1IRV7zukUpgrade naar KadastraleKaart Pro
ZAs6LDtXQy9LUpgrade naar KadastraleKaart Pro
oNysaVEHyWCTVGW2C4Upgrade naar KadastraleKaart Pro
QHdd FpPqYMKMCbZw55MhoUpgrade naar KadastraleKaart Pro
NVdib ii Upgrade naar KadastraleKaart Pro
N MG5WRT1OUr b6ZmARzMUpgrade naar KadastraleKaart Pro
LNtwQCUybheuClyxApI1GUpgrade naar KadastraleKaart Pro
mIN7yYEzDBQmhrDGZ8m KUpgrade naar KadastraleKaart Pro
QinYlfDmUMhLM5T39xJ7MUpgrade naar KadastraleKaart Pro
25/11/1999

Percelen
Gebruik de zoekbalk of klik op een perceel om informatie over het perceel te bekijken.