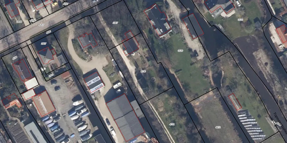
Perceel: AMR03-H-4730
KadastraleKaart.com kan meer dan je denktOntdek meer ›
Filter op bestemming 50+ datasets Eigendomsdata in één klik Percelen CRM
1.149 m2 - 143 m
Eigenaar opvragen
AMR03-H-4730 (Aalsmeer)
- 1431 AE
yQiIN PTqcX tJxrwCg kXUpgrade naar KadastraleKaart Pro
Verkoopprijs opvragen
Bekijk op Street View
Download DWG/DXF/Excel
1rAMpBtpSjDLg9aUpgrade naar KadastraleKaart Pro
MbvJ88 Y0Aus zhLUpgrade naar KadastraleKaart Pro
0BkHYXsy DggUpgrade naar KadastraleKaart Pro
rHppKep8RqFpaB76Upgrade naar KadastraleKaart Pro
ZlVJxKNqAbtXQ Upgrade naar KadastraleKaart Pro
tf2yyfPDhg0SjvgmES8rUpgrade naar KadastraleKaart Pro
QQDga 2 g jYKAOgUpgrade naar KadastraleKaart Pro
R79UZfGqOCD7 nMxGjUpgrade naar KadastraleKaart Pro
8WKIP xYE08y4A8q0txszUpgrade naar KadastraleKaart Pro
6pbXqTzovK9hUpgrade naar KadastraleKaart Pro
20/11/2025

Percelen
Gebruik de zoekbalk of klik op een perceel om informatie over het perceel te bekijken.