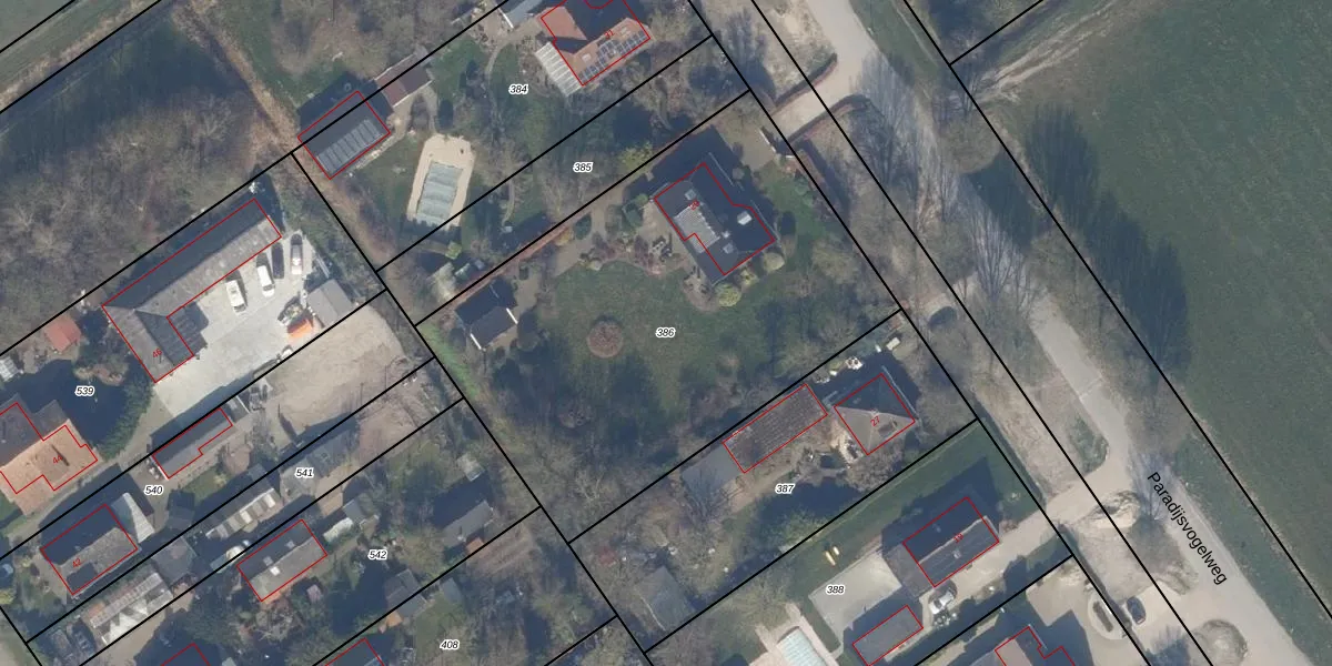
Perceel: AMR04-A-386
KadastraleKaart.com kan meer dan je denktOntdek meer ›
Filter op bestemming 50+ datasets Eigendomsdata in één klik Percelen CRM
2.461 m2 - 203 m
Eigenaar opvragen
AMR04-A-386 (Almere)
- 1349 CA
gYPIKh QjE3oyv207bKU3Do9 1o3jvUpgrade naar KadastraleKaart Pro
Verkoopprijs opvragen
Bekijk op Street View
Download DWG/DXF/Excel
QrzynF5YF zG0YJfucBUpgrade naar KadastraleKaart Pro
3hKbdBOtZ9pUpgrade naar KadastraleKaart Pro
P0m uJe 9dUpgrade naar KadastraleKaart Pro
0hfSx4 PxkM Upgrade naar KadastraleKaart Pro
hGD1lt 4ritev SYUpgrade naar KadastraleKaart Pro
PqvOIU4ML8QnnihSnr9sNK2Upgrade naar KadastraleKaart Pro
DSDAnj Zt2Upgrade naar KadastraleKaart Pro
M jsVlNh6fOhnnV hpJUpgrade naar KadastraleKaart Pro
NdEIRSEz Upgrade naar KadastraleKaart Pro
fB xdMhwp jBPHZm Q70iUpgrade naar KadastraleKaart Pro
11/01/2012

Percelen
Gebruik de zoekbalk of klik op een perceel om informatie over het perceel te bekijken.