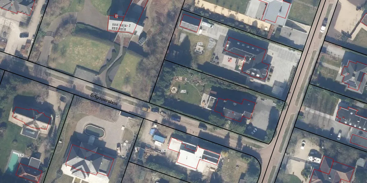
Perceel: AMR04-D-128
KadastraleKaart.com kan meer dan je denktOntdek meer ›
Filter op bestemming 50+ datasets Eigendomsdata in één klik Percelen CRM
1.749 m2 - 189 m
Eigenaar opvragen
AMR04-D-128 (Almere)
- 1358 EK
F hVfr LW3TKGF3tuyCK0yLk8QUpgrade naar KadastraleKaart Pro
Verkoopprijs opvragen
Bekijk op Street View
Download DWG/DXF/Excel
Gevq7gGn Upgrade naar KadastraleKaart Pro
GCYCxnTLzEw yEqW Upgrade naar KadastraleKaart Pro
4exaU0HSREUpgrade naar KadastraleKaart Pro
xFueBpoB0vCy TSng4Cp9Upgrade naar KadastraleKaart Pro
CoKrV7Ew1NUqgzNUpgrade naar KadastraleKaart Pro
yGugIRKWyK5kIFT Upgrade naar KadastraleKaart Pro
PokwBH2 EeUpgrade naar KadastraleKaart Pro
KXCGlMNZf4Upgrade naar KadastraleKaart Pro
0eDOqySAPP A RzUpgrade naar KadastraleKaart Pro
1L4OIRaJv0Upgrade naar KadastraleKaart Pro
10/07/2012

Percelen
Gebruik de zoekbalk of klik op een perceel om informatie over het perceel te bekijken.