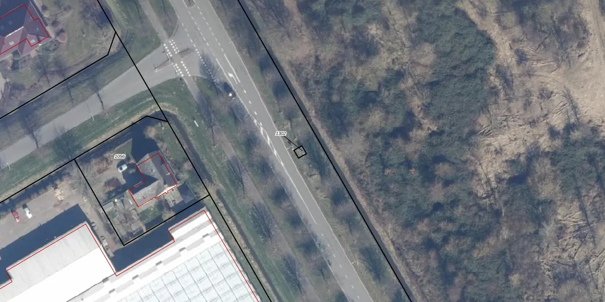
Perceel: AMR04-F-1302

Adres bij perceel

Geen adressen bij dit perceel

Perceeloppervlakte & perceelomtrek

9 m2 - 12 m

Eigenaar van het perceel

Eigenaar opvragen

Kadastrale aanduiding

AMR04-F-1302 (Almere)

Postcode in perceel

    Geen postcode aanwezig

Type eigenaar

ncnF8cqO7FegsArIxyXL Upgrade naar KadastraleKaart Pro

Google Street View

Bekijk op Street View

Download

Download DWG/DXF/Excel

Gerelateerde percelen

PpKJHrmUqkrUpgrade naar KadastraleKaart Pro

Bebouwd/onbebouwd/water/groen

SKkAui3jo4DX Upgrade naar KadastraleKaart Pro
Administratieve eenheden
AXeV y85cte ZViLlm2Upgrade naar KadastraleKaart Pro

Appartementsrechten

3uXyuJLIcY W 9Xp9 Upgrade naar KadastraleKaart Pro

Vergunningverlenende instanties

cK9CP FsaUhMD bqI4AUpgrade naar KadastraleKaart Pro

Bedekking (BGT)

iI7VlrGkef531Upgrade naar KadastraleKaart Pro

Publiekrechtelijke beperkingen

Ctfvw ehCFpOIfUpgrade naar KadastraleKaart Pro

Grensnauwkeurigheid

5 Lwmnp31Upgrade naar KadastraleKaart Pro

Coördinaten hoekpunten perceel

tivnmIZ0hFWjyiL5Upgrade naar KadastraleKaart Pro

Hoogteligging

z5k9qFh9a7EnCf1Upgrade naar KadastraleKaart Pro

Laatst gewijzigd

02/10/2008

Kadastrale kaart met maatvoering 59,95
Kadastrale kaart pakket 28,95

Percelen

Gebruik de zoekbalk of klik op een perceel om informatie over het perceel te bekijken.
Locatie
Meten
Lagen
Download