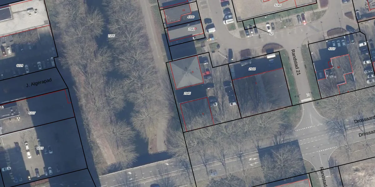
Perceel: AMR04-O-2945
KadastraleKaart.com kan meer dan je denktOntdek meer ›
Filter op bestemming 50+ datasets Eigendomsdata in één klik Percelen CRM
1.158 m2 - 141 m
Eigenaar opvragen
AMR04-O-2945 (Almere)
- 1314 BD
doS3wE2b9MHil1c akUpgrade naar KadastraleKaart Pro
Bekijk op Street View
Download DWG/DXF/Excel
8DUPEOZq9Upgrade naar KadastraleKaart Pro
H XVPrMfzw YO OskUpgrade naar KadastraleKaart Pro
69MjUhlbyZ8Upgrade naar KadastraleKaart Pro
F6Y2fnx MqwrQfKir r57XWUpgrade naar KadastraleKaart Pro
cqybjo379FUtE RUpgrade naar KadastraleKaart Pro
deSK ZlXBsdz0LMSKj1Upgrade naar KadastraleKaart Pro
7dxHIvvN SqUY2aUpgrade naar KadastraleKaart Pro
mPt5rM aFKCPf1 s xtiN9 Upgrade naar KadastraleKaart Pro
fruYLhCPUpgrade naar KadastraleKaart Pro
3cXxfjk8ynT1tUpgrade naar KadastraleKaart Pro
29/09/2009

Percelen
Gebruik de zoekbalk of klik op een perceel om informatie over het perceel te bekijken.