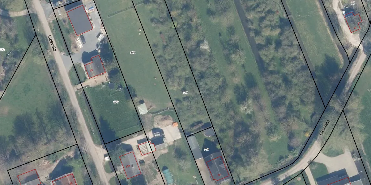
Perceel: AMS02-E-759
Geen adressen bij dit perceel
2.070 m2 - 284 m
Eigenaar opvragen
AMS02-E-759 (Groot-Ammers)
- Geen postcode aanwezig
xgtA 2Jf3YyUWeDECkiYZd DUpgrade naar KadastraleKaart Pro
Bekijk op Street View
Download DWG/DXF/Excel
OOhQK ziK4Ab Ukn5GAmUpgrade naar KadastraleKaart Pro
bUUgQOl1BnrRthkChIfUpgrade naar KadastraleKaart Pro
t78XJiT4CpI7gCRiUpgrade naar KadastraleKaart Pro
E Id82I4PCqDD mgWKCk3Upgrade naar KadastraleKaart Pro
aQ4TfcQBolo0poAUpgrade naar KadastraleKaart Pro
aHk WipEIkn53JCkfi NUpgrade naar KadastraleKaart Pro
GSMorqR2PRUpgrade naar KadastraleKaart Pro
Y 4gFJIPWshNLZAUz9ABUpgrade naar KadastraleKaart Pro
r8mZ0BmqCXu4RoUpgrade naar KadastraleKaart Pro
uyn vmmmPedRWo nUpgrade naar KadastraleKaart Pro
18/07/2000

Percelen
Gebruik de zoekbalk of klik op een perceel om informatie over het perceel te bekijken.