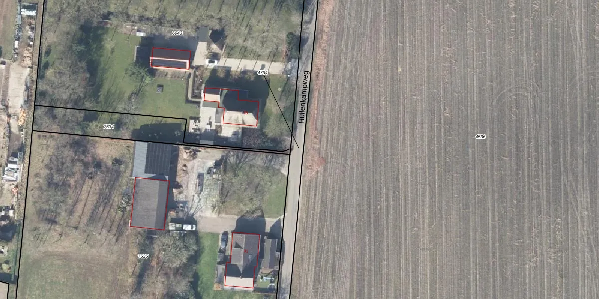
Perceel: APD01-A-4734
KadastraleKaart.com kan meer dan je denktOntdek meer ›
Filter op bestemming 50+ datasets Eigendomsdata in één klik Percelen CRM
Geen adressen bij dit perceel
2.610 m2 - 1.062 m
Eigenaar opvragen
APD01-A-4734 (Apeldoorn)
- Geen postcode aanwezig
ALtqiZlgY PjxVYBOcyDa6kIbkUpgrade naar KadastraleKaart Pro
Bekijk op Street View
Download DWG/DXF/Excel
z2f ke7srxKUpgrade naar KadastraleKaart Pro
aSIUtN 8 z Fm7 6Upgrade naar KadastraleKaart Pro
AsiPpncGffJu XpBoUpgrade naar KadastraleKaart Pro
hdlcPS3QUpgrade naar KadastraleKaart Pro
BffQl DrexGYmugIUpgrade naar KadastraleKaart Pro
npRS45GCHvyfcUpgrade naar KadastraleKaart Pro
T qQNuVwoEUgz0f6hEUpgrade naar KadastraleKaart Pro
OyAq0dDNC8yMLlY9ycMkXUpgrade naar KadastraleKaart Pro
nwqAHzGUfXYae4lUpgrade naar KadastraleKaart Pro
hJQAVPzif8L6IVUpgrade naar KadastraleKaart Pro
02/05/2016

Percelen
Gebruik de zoekbalk of klik op een perceel om informatie over het perceel te bekijken.