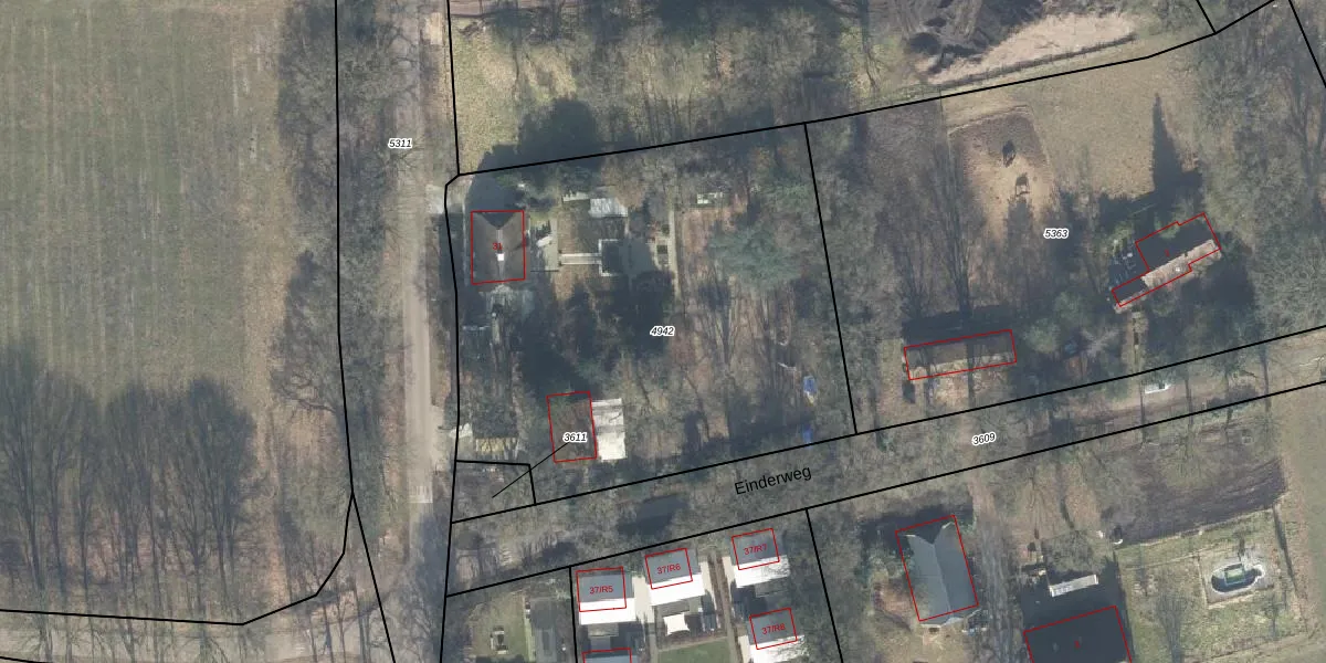
Perceel: APD01-A-4942
KadastraleKaart.com kan meer dan je denktOntdek meer ›
Filter op bestemming 50+ datasets Eigendomsdata in één klik Percelen CRM
2.855 m2 - 211 m
Eigenaar opvragen
APD01-A-4942 (Apeldoorn)
- 3888 NE
zvK mE5Kc aI3xPQ9cwAUpgrade naar KadastraleKaart Pro
Verkoopprijs opvragen
Bekijk op Street View
Download DWG/DXF/Excel
aL8w6Cp1BYFUpgrade naar KadastraleKaart Pro
gZ jH1CKGIPkjKoUpgrade naar KadastraleKaart Pro
bWWvXeqg Upgrade naar KadastraleKaart Pro
x3Fb5Fln4fUpgrade naar KadastraleKaart Pro
CJAOF1wUS15J6Upgrade naar KadastraleKaart Pro
2ncViJ8Nh 0F6SUpgrade naar KadastraleKaart Pro
mc5M oE2vqJWSqKUpgrade naar KadastraleKaart Pro
r aCAQ8lUpgrade naar KadastraleKaart Pro
wPjl8A3OQ7 Upgrade naar KadastraleKaart Pro
Hg7trWbBcW xtOkFglO2Cy7Upgrade naar KadastraleKaart Pro
13/08/2009

Percelen
Gebruik de zoekbalk of klik op een perceel om informatie over het perceel te bekijken.