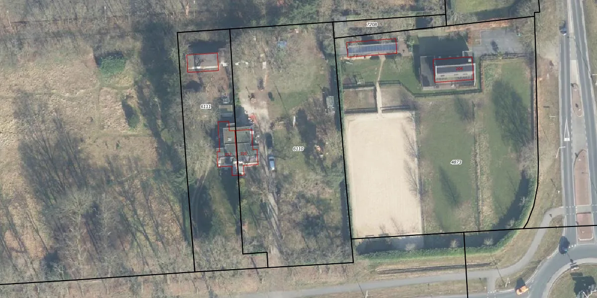
Perceel: APD01-A-6110
KadastraleKaart.com kan meer dan je denktOntdek meer ›
Filter op bestemming 50+ datasets Eigendomsdata in één klik Percelen CRM
2.850 m2 - 233 m
Eigenaar opvragen
APD01-A-6110 (Apeldoorn)
- 3888 NR
IStM6DfGlFBe5eooyVVCCoXaLx CvfWUpgrade naar KadastraleKaart Pro
Verkoopprijs opvragen
Bekijk op Street View
Download DWG/DXF/Excel
uZfCt6chaxD B7LUpgrade naar KadastraleKaart Pro
Jpj5zIpzUgmi4CDzhACiC7Upgrade naar KadastraleKaart Pro
GZdSX84mFZBkH GN3mctYUpgrade naar KadastraleKaart Pro
vnF57olqqENUpgrade naar KadastraleKaart Pro
dr4weGGk4HgXanq7LGLlUpgrade naar KadastraleKaart Pro
1CngXY XyXpjv1iDCJYz8Upgrade naar KadastraleKaart Pro
g4ORoch7p6TOnS 9diVu5Upgrade naar KadastraleKaart Pro
0 C3y XY 2TPjOnR6fCbajbUpgrade naar KadastraleKaart Pro
9tA FWh 2IUjYx3Ag2P5Upgrade naar KadastraleKaart Pro
Lj TnwR31y m1GzhsmQHUpgrade naar KadastraleKaart Pro
13/10/2023

Percelen
Gebruik de zoekbalk of klik op een perceel om informatie over het perceel te bekijken.