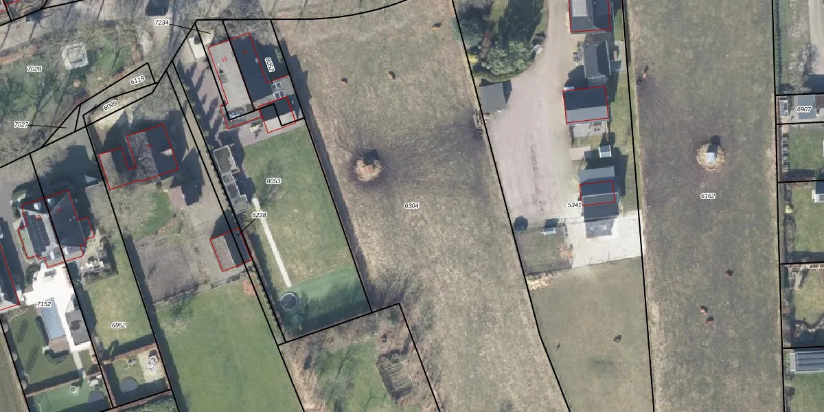
Perceel: APD01-A-6304
Geen adressen bij dit perceel
5.310 m2 - 391 m
Eigenaar opvragen
APD01-A-6304 (Apeldoorn)
- Geen postcode aanwezig
ogW2Gyy1BY m mRQd Upgrade naar KadastraleKaart Pro
Bekijk op Street View
Download DWG/DXF/Excel
wF TXQNAJ 42WKLeUpgrade naar KadastraleKaart Pro
DmXgsWdERoyUpgrade naar KadastraleKaart Pro
WqmnBdrgb3RmSVZbAInDXRUpgrade naar KadastraleKaart Pro
ZwxlRxc7bUpgrade naar KadastraleKaart Pro
fQDhsRIfsdUpgrade naar KadastraleKaart Pro
7 SXmTrHGUpgrade naar KadastraleKaart Pro
LyK9hUKRp4Q7aYoZuUpgrade naar KadastraleKaart Pro
Gs C FecOUpgrade naar KadastraleKaart Pro
Ekezyy0ACx2Upgrade naar KadastraleKaart Pro
bI6Y1cmVWruO G U6BHWbaMUpgrade naar KadastraleKaart Pro
06/01/2022

Percelen
Gebruik de zoekbalk of klik op een perceel om informatie over het perceel te bekijken.