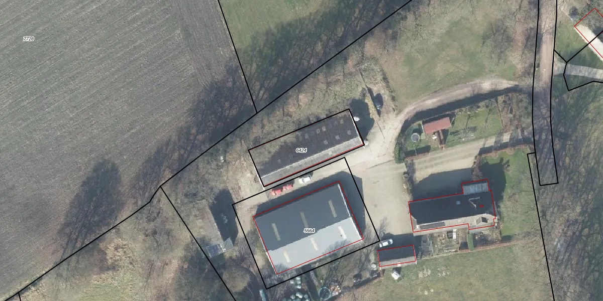
Perceel: APD01-A-6424
Geen adressen bij dit perceel
465 m2 - 98 m
Eigenaar opvragen
APD01-A-6424 (Apeldoorn)
- Geen postcode aanwezig
Fwb hVNZLH U sVrpt S2Ze 0AzUpgrade naar KadastraleKaart Pro
Bekijk op Street View
Download DWG/DXF/Excel
3THRaEXHby6VUpgrade naar KadastraleKaart Pro
0sAQP7s5fXRVoYUpgrade naar KadastraleKaart Pro
UidB Mv ohUpgrade naar KadastraleKaart Pro
IH 1yMqg RRMQZRSQPUpgrade naar KadastraleKaart Pro
uldUGBb92Upgrade naar KadastraleKaart Pro
41JwnS4gUpgrade naar KadastraleKaart Pro
yqP9uekelN13QkpjUpgrade naar KadastraleKaart Pro
Pnx2kObOJn Upgrade naar KadastraleKaart Pro
N6r1KkLYgZQ3Upgrade naar KadastraleKaart Pro
9fOx32xo CK55lZqPwkzs9Upgrade naar KadastraleKaart Pro
07/11/2008

Percelen
Gebruik de zoekbalk of klik op een perceel om informatie over het perceel te bekijken.