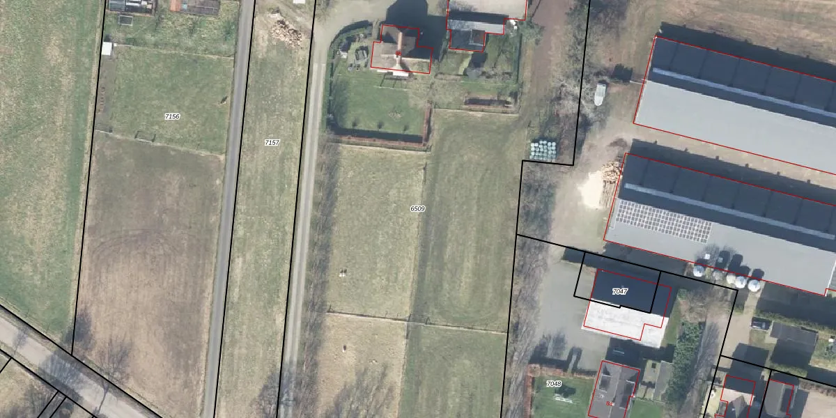
Perceel: APD01-A-6509
8.962 m2 - 454 m
Eigenaar opvragen
APD01-A-6509 (Apeldoorn)
- 3888 LS
LbZRWs8 z6C 5RGWaUpgrade naar KadastraleKaart Pro
Verkoopprijs opvragen
Bekijk op Street View
Download DWG/DXF/Excel
ka7 oBCPi MrC7W6zfvUpgrade naar KadastraleKaart Pro
BpvK5zShUgw0qdgUpgrade naar KadastraleKaart Pro
qrUYDL17 bcQHEfJBnA0Upgrade naar KadastraleKaart Pro
F0RIz5aVUpgrade naar KadastraleKaart Pro
mEonQIv8ls5agXFHvLKCUpgrade naar KadastraleKaart Pro
C ALPUnUM6bR V A6G6Upgrade naar KadastraleKaart Pro
99BFW 0zUpgrade naar KadastraleKaart Pro
F369 xzvnjWcYUSOPUpgrade naar KadastraleKaart Pro
GuO128nHaZ aUpgrade naar KadastraleKaart Pro
zhICDK2SKjy94dKekS2Upgrade naar KadastraleKaart Pro
14/02/2012

Percelen
Gebruik de zoekbalk of klik op een perceel om informatie over het perceel te bekijken.