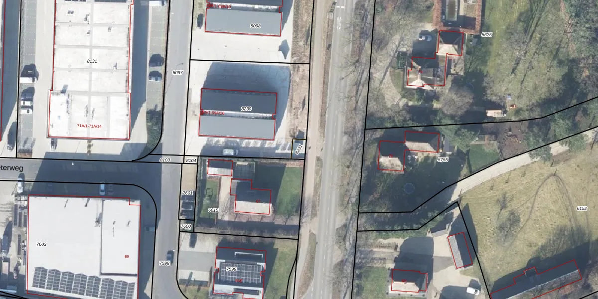
Perceel: APD01-A-8231
KadastraleKaart.com kan meer dan je denktOntdek meer ›
Filter op bestemming 50+ datasets Eigendomsdata in één klik Percelen CRM
Geen adressen bij dit perceel
31 m2 - 23 m
Eigenaar opvragen
APD01-A-8231 (Apeldoorn)
- Geen postcode aanwezig
QI4BX YpDd61CUbGunOOpXimLrg NyUpgrade naar KadastraleKaart Pro
Bekijk op Street View
Download DWG/DXF/Excel
O oCbP2c2fe24 b5XHUpgrade naar KadastraleKaart Pro
50LOGEZ2Upgrade naar KadastraleKaart Pro
oOgTWPbyIUpgrade naar KadastraleKaart Pro
JjZs37VXpR Upgrade naar KadastraleKaart Pro
x79CqECkICCA01XxjYKUpgrade naar KadastraleKaart Pro
rcz0etzxsGd AERqazsk UUpgrade naar KadastraleKaart Pro
erMBWKw k1Q6iUpgrade naar KadastraleKaart Pro
s N3p3 Z1pJLeuoE8Upgrade naar KadastraleKaart Pro
THZ 30iWSTS7rtS 5eRcpFVUpgrade naar KadastraleKaart Pro
WNHyJk dUpgrade naar KadastraleKaart Pro
03/12/2024

Percelen
Gebruik de zoekbalk of klik op een perceel om informatie over het perceel te bekijken.