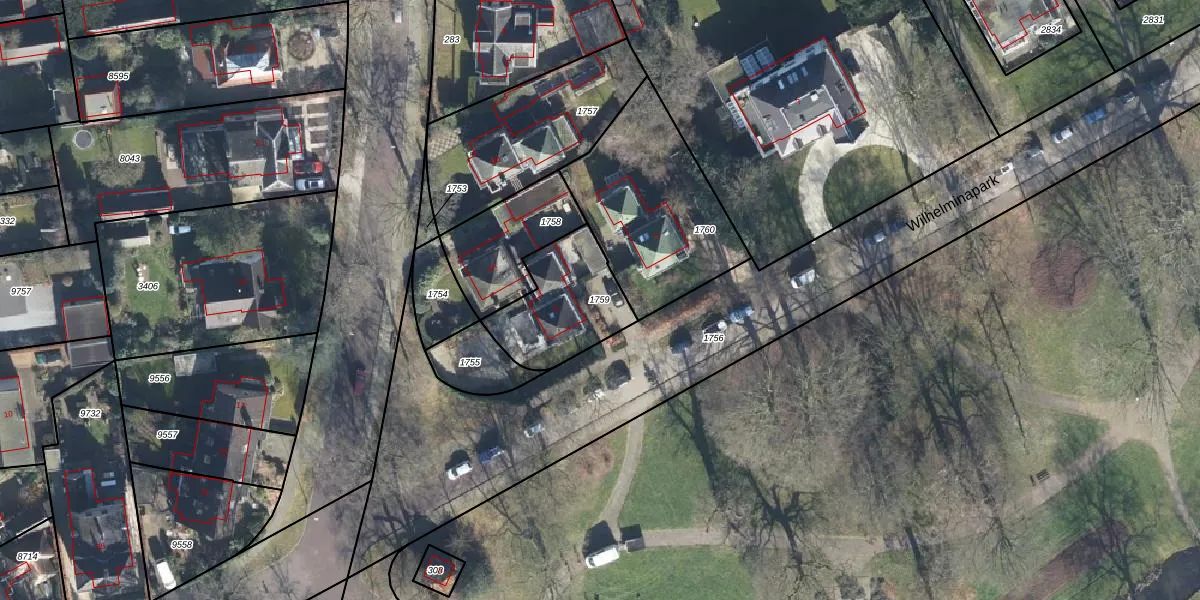
Perceel: APD01-AA-1759
343 m2 - 80 m
Eigenaar opvragen
APD01-AA-1759 (Apeldoorn)
- 7316 BR
Z624qRx Bc YBUK7u K4oBOE NV 5Upgrade naar KadastraleKaart Pro
Verkoopprijs opvragen
Bekijk op Street View
Download DWG/DXF/Excel
myTNpi91Upgrade naar KadastraleKaart Pro
ROy xSf0yUpgrade naar KadastraleKaart Pro
Ko0QPCLl7pJ95RKTUpgrade naar KadastraleKaart Pro
ig FiXvj2qDntp0iMQlFOZUpgrade naar KadastraleKaart Pro
qc9WZ9zoUpgrade naar KadastraleKaart Pro
c0Bj tr7wZUpgrade naar KadastraleKaart Pro
bM0ZpMrf CuF EhXtqUpgrade naar KadastraleKaart Pro
YlXN3UkyzS92NfTpeA2J 3Upgrade naar KadastraleKaart Pro
iWkWJ31Uj1d YK UwS0CXUpgrade naar KadastraleKaart Pro
UlnF nFUvf1VfIciUpgrade naar KadastraleKaart Pro
11/11/1998

Percelen
Gebruik de zoekbalk of klik op een perceel om informatie over het perceel te bekijken.