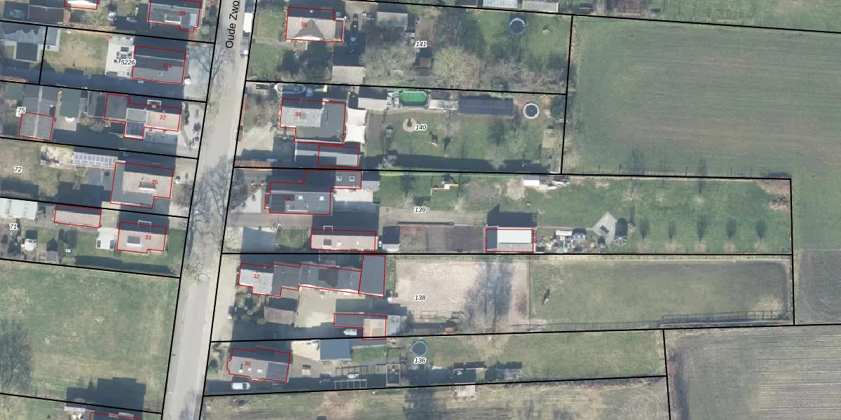
Perceel: APD01-AB-139
KadastraleKaart.com kan meer dan je denktOntdek meer ›
Filter op bestemming 50+ datasets Eigendomsdata in één klik Percelen CRM
2.580 m2 - 307 m
Eigenaar opvragen
APD01-AB-139 (Apeldoorn)
- 7345 BH
sRc2CDaiRsd1WTTjNzQciWUpgrade naar KadastraleKaart Pro
Bekijk op Street View
Download DWG/DXF/Excel
yp Wd LT9VT s jbHAKLhUpgrade naar KadastraleKaart Pro
ZqjhIcj068 UgDUpgrade naar KadastraleKaart Pro
KIuHpUYEEwR1pCjg xUpgrade naar KadastraleKaart Pro
OPn3aNQIsjG44jwUpgrade naar KadastraleKaart Pro
5zisL0l4lB88Upgrade naar KadastraleKaart Pro
T2KwSoTJ ECnUpgrade naar KadastraleKaart Pro
L6d9 5p cdStgfluj fUpgrade naar KadastraleKaart Pro
mq0HQVST2k 8ms45mIS2ZUpgrade naar KadastraleKaart Pro
u4hsWhEw5GuTUpgrade naar KadastraleKaart Pro
K2FNGgOSElxUpgrade naar KadastraleKaart Pro
19/11/1998

Percelen
Gebruik de zoekbalk of klik op een perceel om informatie over het perceel te bekijken.