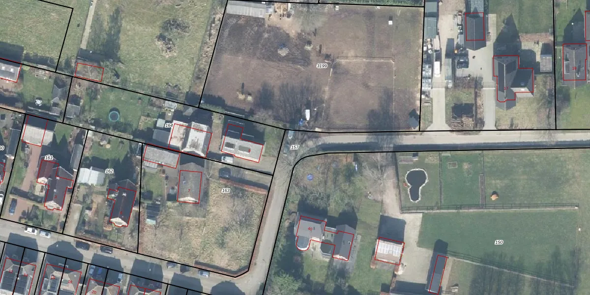
Perceel: APD01-AB-157
KadastraleKaart.com kan meer dan je denktOntdek meer ›
Filter op bestemming 50+ datasets Eigendomsdata in één klik Percelen CRM
Geen adressen bij dit perceel
2.360 m2 - 708 m
Eigenaar opvragen
APD01-AB-157 (Apeldoorn)
- Geen postcode aanwezig
tfDyl7Ddk3ml443BrqiXlDj 736Upgrade naar KadastraleKaart Pro
Bekijk op Street View
Download DWG/DXF/Excel
mLDWMLPwUpgrade naar KadastraleKaart Pro
nlBG K4PUpgrade naar KadastraleKaart Pro
I2W 41Zhz5Upgrade naar KadastraleKaart Pro
Lw0IybnSLus9jY9 OUpgrade naar KadastraleKaart Pro
iyiJk4ntOCQ3h2pH0i1NUpgrade naar KadastraleKaart Pro
ZzFs JfVhI61rNWG7oWvz5Upgrade naar KadastraleKaart Pro
bNWt gY8jq3HeO FtUpgrade naar KadastraleKaart Pro
bNou RSYor2u1ckUpgrade naar KadastraleKaart Pro
ihJ5 H9gA32hED0zoUpgrade naar KadastraleKaart Pro
vPXrMBZ9ZpEogVUpgrade naar KadastraleKaart Pro
23/10/2018

Percelen
Gebruik de zoekbalk of klik op een perceel om informatie over het perceel te bekijken.