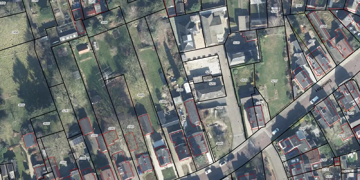
Perceel: APD01-AB-1588
KadastraleKaart.com kan meer dan je denktOntdek meer ›
Filter op bestemming 50+ datasets Eigendomsdata in één klik Percelen CRM
1.031 m2 - 203 m
Eigenaar opvragen
APD01-AB-1588 (Apeldoorn)
- 7315 CE
I0zYiFk cdEsblQfabUpgrade naar KadastraleKaart Pro
Bekijk op Street View
Download DWG/DXF/Excel
iQMMBzL58uUpgrade naar KadastraleKaart Pro
tA0nFL jXelUrLdUpgrade naar KadastraleKaart Pro
OwSN6JNO0Bsmu pgsUpgrade naar KadastraleKaart Pro
cL0 g1r7JUpgrade naar KadastraleKaart Pro
6b4ffcAxPidcCPICiuUpgrade naar KadastraleKaart Pro
m 6vCITkUpgrade naar KadastraleKaart Pro
rikOBuM8gsCsg9Upgrade naar KadastraleKaart Pro
P5FqPWN iLofFR FUpgrade naar KadastraleKaart Pro
MNzfMI2a hT zDCd4jvQ6BUpgrade naar KadastraleKaart Pro
CCo9NXxCUpgrade naar KadastraleKaart Pro
14/11/2022

Percelen
Gebruik de zoekbalk of klik op een perceel om informatie over het perceel te bekijken.