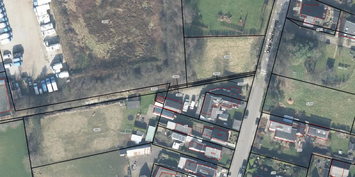
Perceel: APD01-AB-3461
KadastraleKaart.com kan meer dan je denktOntdek meer ›
Filter op bestemming 50+ datasets Eigendomsdata in één klik Percelen CRM
Geen adressen bij dit perceel
13 m2 - 25 m
Eigenaar opvragen
APD01-AB-3461 (Apeldoorn)
- Geen postcode aanwezig
qzh6zvkk7LNAIGQcacI YyWUpgrade naar KadastraleKaart Pro
Bekijk op Street View
Download DWG/DXF/Excel
cLgpJ1VkUpgrade naar KadastraleKaart Pro
SFPRPm D dVTvjcToDUpgrade naar KadastraleKaart Pro
b0Hitj8iJhcSNnXtRUpgrade naar KadastraleKaart Pro
Zik88mAZBbnWM 7T ZUpgrade naar KadastraleKaart Pro
9mfir AA1ErkA5 yUpgrade naar KadastraleKaart Pro
yn RG8mXRJzJCI5XhBB7 5Upgrade naar KadastraleKaart Pro
pnrtTj mMtIyt0BURBsUpgrade naar KadastraleKaart Pro
rSzO2AIxRrj vekTv2 eUQ Upgrade naar KadastraleKaart Pro
RyiJN Jyq6xJrUpgrade naar KadastraleKaart Pro
wcNI51NSUpgrade naar KadastraleKaart Pro
17/11/1998

Percelen
Gebruik de zoekbalk of klik op een perceel om informatie over het perceel te bekijken.