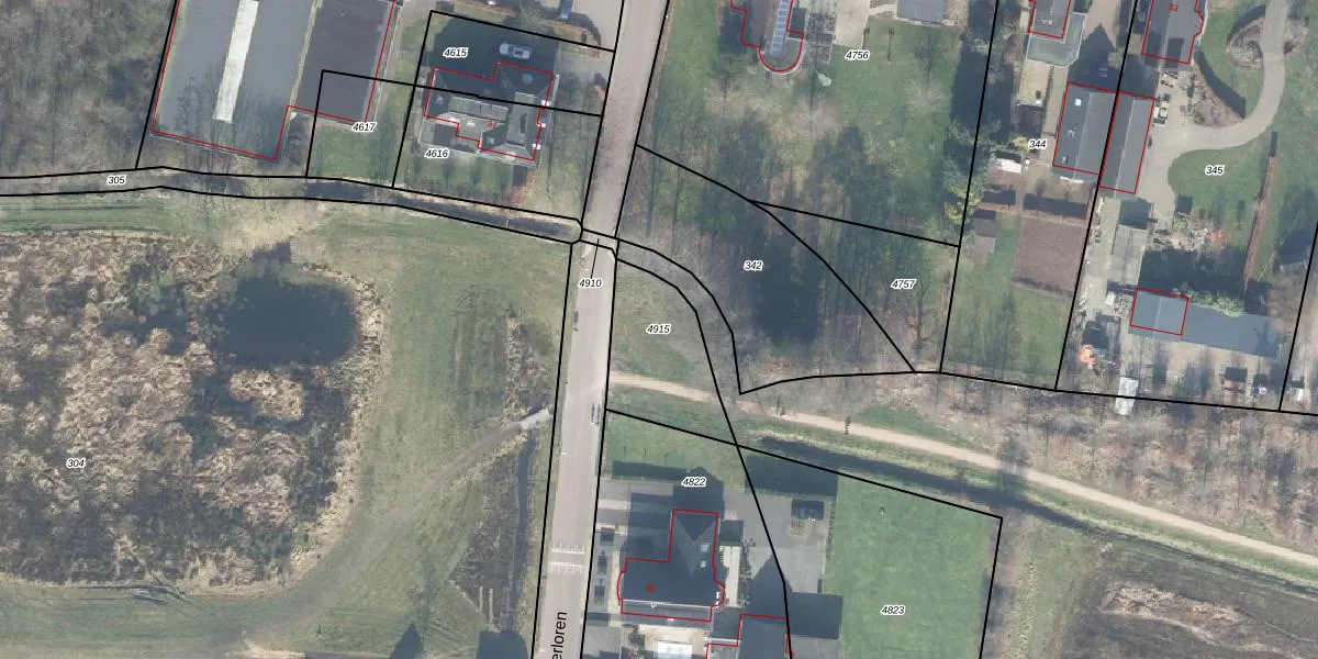
Perceel: APD01-AB-4915
Geen adressen bij dit perceel
340 m2 - 80 m
Eigenaar opvragen
APD01-AB-4915 (Apeldoorn)
- Geen postcode aanwezig
s1TLluURqLxo8 Rheb9ceKyCKUpgrade naar KadastraleKaart Pro
Bekijk op Street View
Download DWG/DXF/Excel
fJ orKdRAdq9x01OWLl6Upgrade naar KadastraleKaart Pro
qfZzuAyp i7RC9uUpgrade naar KadastraleKaart Pro
n0 VxJf1HruZ8bn GZZnUpgrade naar KadastraleKaart Pro
v7HqrCHqAPhL9jUpgrade naar KadastraleKaart Pro
0kjFFMhaUpgrade naar KadastraleKaart Pro
1schdh6ixdExXRWjbDIUpgrade naar KadastraleKaart Pro
Jn TuCLAO BjwHTn3ZifpUpgrade naar KadastraleKaart Pro
fsnfTLusyp7UUJxcUpgrade naar KadastraleKaart Pro
m1PM1gSfnAQ sti jZ50CUpgrade naar KadastraleKaart Pro
G6W2VqsWGkKR Xd2CTZjh6Upgrade naar KadastraleKaart Pro
09/04/2015

Percelen
Gebruik de zoekbalk of klik op een perceel om informatie over het perceel te bekijken.