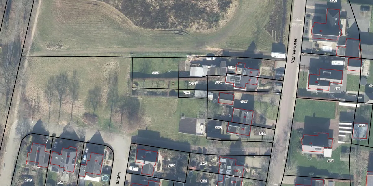
Perceel: APD01-AB-5075
Geen adressen bij dit perceel
69 m2 - 39 m
Eigenaar opvragen
APD01-AB-5075 (Apeldoorn)
- Geen postcode aanwezig
u0qGBdahbTrpmASdAUpgrade naar KadastraleKaart Pro
Bekijk op Street View
Download DWG/DXF/Excel
DHvaynVBMw5lnMx5nMmUpgrade naar KadastraleKaart Pro
mAo749FSUpgrade naar KadastraleKaart Pro
c5 t5 ckheKX gOrUiA 0kUpgrade naar KadastraleKaart Pro
5ox7ggHvhJDlg5Upgrade naar KadastraleKaart Pro
DmjLSftfqj on64J7O7HU5iUpgrade naar KadastraleKaart Pro
briELDUQsB Upgrade naar KadastraleKaart Pro
mgszW1vbwywUpgrade naar KadastraleKaart Pro
SR6RAuup n55Uc riHUwoJUpgrade naar KadastraleKaart Pro
AeoDRiSK R f9J iwvUpgrade naar KadastraleKaart Pro
DRc8O8OVoUpgrade naar KadastraleKaart Pro
02/11/2018

Percelen
Gebruik de zoekbalk of klik op een perceel om informatie over het perceel te bekijken.