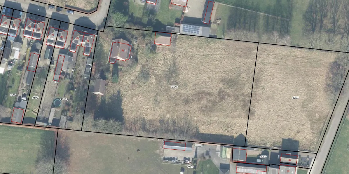
Perceel: APD01-AB-5326
5.640 m2 - 308 m
Eigenaar opvragen
APD01-AB-5326 (Apeldoorn)
- 7345 BK
e3sQM7uPayrbhZnEdUpgrade naar KadastraleKaart Pro
Verkoopprijs opvragen
Bekijk op Street View
Download DWG/DXF/Excel
uJfDtifX GR zrkWUpgrade naar KadastraleKaart Pro
GJaFQph ziXtCPnAUpgrade naar KadastraleKaart Pro
bl4dyKmU3JDmyUNTrOwNNWUpgrade naar KadastraleKaart Pro
emkAvhAk3Upgrade naar KadastraleKaart Pro
PbY5Emk Upgrade naar KadastraleKaart Pro
B98LkPXd EhHUpgrade naar KadastraleKaart Pro
p6gm CARvUpgrade naar KadastraleKaart Pro
9WRKmG2 C2D4Upgrade naar KadastraleKaart Pro
GX1rnXfTiVVy1LyQZUpgrade naar KadastraleKaart Pro
5bADA6mA 0RMvAObe6YpUpgrade naar KadastraleKaart Pro
14/01/2026

Percelen
Gebruik de zoekbalk of klik op een perceel om informatie over het perceel te bekijken.