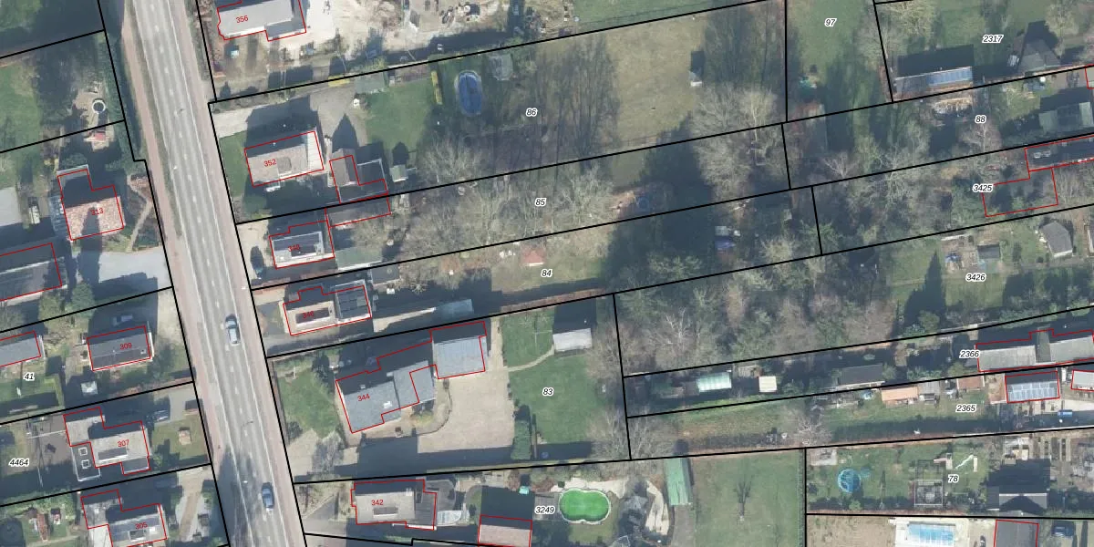
Perceel: APD01-AB-84
KadastraleKaart.com kan meer dan je denktOntdek meer ›
Filter op bestemming 50+ datasets Eigendomsdata in één klik Percelen CRM
1.320 m2 - 233 m
Eigenaar opvragen
APD01-AB-84 (Apeldoorn)
- 7345 AK
9m j7wDYHpO1H8iTh1Upgrade naar KadastraleKaart Pro
Bekijk op Street View
Download DWG/DXF/Excel
PtG HFd0w1PSVCUpgrade naar KadastraleKaart Pro
0BP reApUsQWZH2LWFa7Upgrade naar KadastraleKaart Pro
UfiTNMbQHhU Loo M4Upgrade naar KadastraleKaart Pro
Ys2Oj9k8e W Upgrade naar KadastraleKaart Pro
R RcVQbbp62cGUpgrade naar KadastraleKaart Pro
Eqe o pD6m5wsUpgrade naar KadastraleKaart Pro
vGLIQBSzNxUpgrade naar KadastraleKaart Pro
57vxJ5 24yNsog8cxUpgrade naar KadastraleKaart Pro
3PAMKxx24l azLUVlUpgrade naar KadastraleKaart Pro
9t5fi5BUUpgrade naar KadastraleKaart Pro
17/11/1998

Percelen
Gebruik de zoekbalk of klik op een perceel om informatie over het perceel te bekijken.