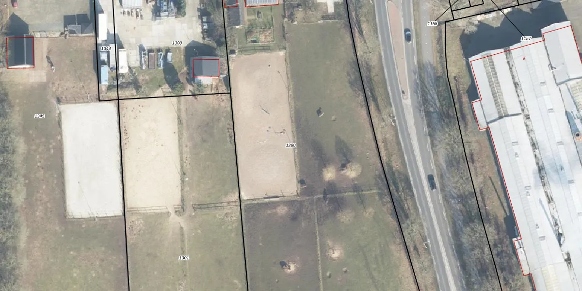
Perceel: APD01-B-1280
KadastraleKaart.com kan meer dan je denktOntdek meer ›
Filter op bestemming 50+ datasets Eigendomsdata in één klik Percelen CRM
10.010 m2 - 512 m
Eigenaar opvragen
APD01-B-1280 (Apeldoorn)
- 3888 NM
hZmJ4TWbWY55Ka Bdc KdmGB rPtUpgrade naar KadastraleKaart Pro
Verkoopprijs opvragen
Bekijk op Street View
Download DWG/DXF/Excel
YvB3l0nKUpgrade naar KadastraleKaart Pro
OqfSwcmbkA9WeH8yWgcAUpgrade naar KadastraleKaart Pro
YgRUByw3A10Upgrade naar KadastraleKaart Pro
NzuAbgXHWff5knctBFwqAmpUpgrade naar KadastraleKaart Pro
86EBOz0DAidSQfomUpgrade naar KadastraleKaart Pro
wxfUL 9SH7CLY bAicSUpgrade naar KadastraleKaart Pro
O7E16 fgYDUpgrade naar KadastraleKaart Pro
apy Czxa1ToH77DUpgrade naar KadastraleKaart Pro
qWHa0Mg3qaf60yYNpUpgrade naar KadastraleKaart Pro
JbV898UBQd5OUg7Upgrade naar KadastraleKaart Pro
28/06/2011

Percelen
Gebruik de zoekbalk of klik op een perceel om informatie over het perceel te bekijken.