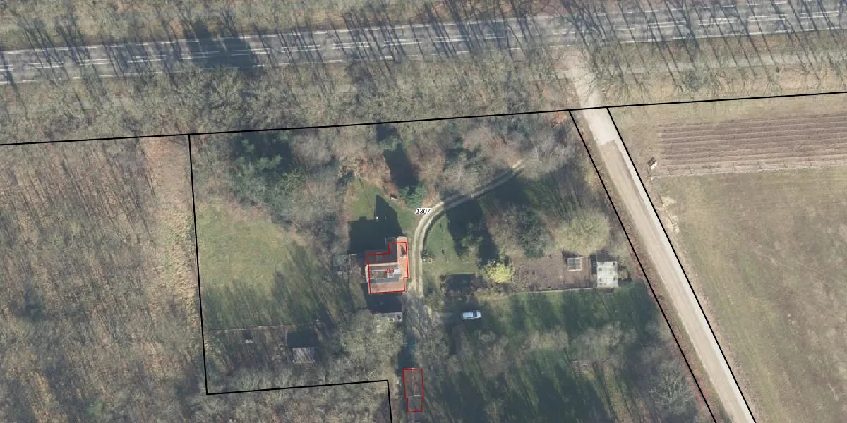
Perceel: APD01-B-1307
KadastraleKaart.com kan meer dan je denktOntdek meer ›
Filter op bestemming 50+ datasets Eigendomsdata in één klik Percelen CRM
8.400 m2 - 403 m
Eigenaar opvragen
APD01-B-1307 (Apeldoorn)
- 3888 NP
P d TFSJOfK C1kGH91 yupIW5 SCwUpgrade naar KadastraleKaart Pro
Bekijk op Street View
Download DWG/DXF/Excel
TfXdNmWDhcZYMUpgrade naar KadastraleKaart Pro
EtPQzQ KorwNqW5iUpgrade naar KadastraleKaart Pro
Zy iHpoUpgrade naar KadastraleKaart Pro
6f ybfez3EUpgrade naar KadastraleKaart Pro
GgBliZAyUpgrade naar KadastraleKaart Pro
Q WqGeuPafRnw d I4zUpgrade naar KadastraleKaart Pro
r8TpXB5Nq 6RdhURUdLUpgrade naar KadastraleKaart Pro
p8qmj8hD42bITUpgrade naar KadastraleKaart Pro
s 0OQVeAl8DnXt7HmRbaK Upgrade naar KadastraleKaart Pro
6dV0lpO EQ519X uy0VzRfGUpgrade naar KadastraleKaart Pro
26/07/2016

Percelen
Gebruik de zoekbalk of klik op een perceel om informatie over het perceel te bekijken.