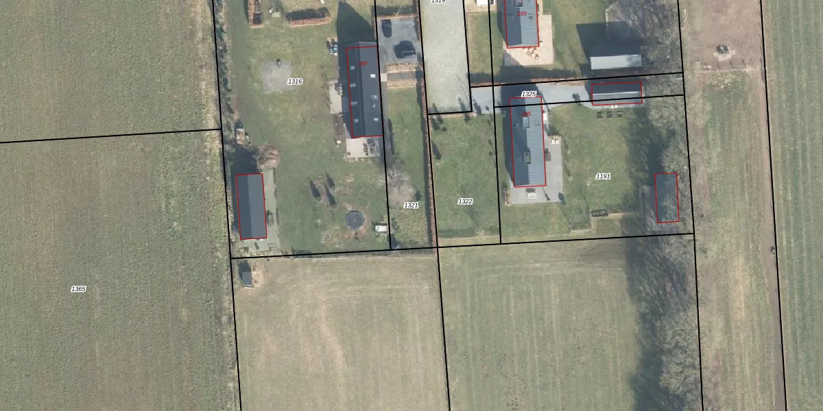
Perceel: APD01-B-1321
KadastraleKaart.com kan meer dan je denktOntdek meer ›
Filter op bestemming 50+ datasets Eigendomsdata in één klik Percelen CRM
Geen adressen bij dit perceel
780 m2 - 164 m
Eigenaar opvragen
APD01-B-1321 (Apeldoorn)
- Geen postcode aanwezig
Yg as84iVg5SSpnUBlxgUpgrade naar KadastraleKaart Pro
Bekijk op Street View
Download DWG/DXF/Excel
wSM2fdah9sYDUxtAUpgrade naar KadastraleKaart Pro
fz4HB2LEXyI uxiUpgrade naar KadastraleKaart Pro
Af C9kpep9MAt37Upgrade naar KadastraleKaart Pro
X61wi7DuZgMNr2h0yUpgrade naar KadastraleKaart Pro
bmOCc5QyAq E EFcCWcLFjoUpgrade naar KadastraleKaart Pro
Nib NTSmynnTsiIKOh1O1HUpgrade naar KadastraleKaart Pro
1tnCbl6xYETUpgrade naar KadastraleKaart Pro
oGQ4TEAF3Upgrade naar KadastraleKaart Pro
AzDw6BoWuPKeytOeGcBUpgrade naar KadastraleKaart Pro
olb Q8kgwe3vonK OW 1JLUpgrade naar KadastraleKaart Pro
25/05/2018

Percelen
Gebruik de zoekbalk of klik op een perceel om informatie over het perceel te bekijken.