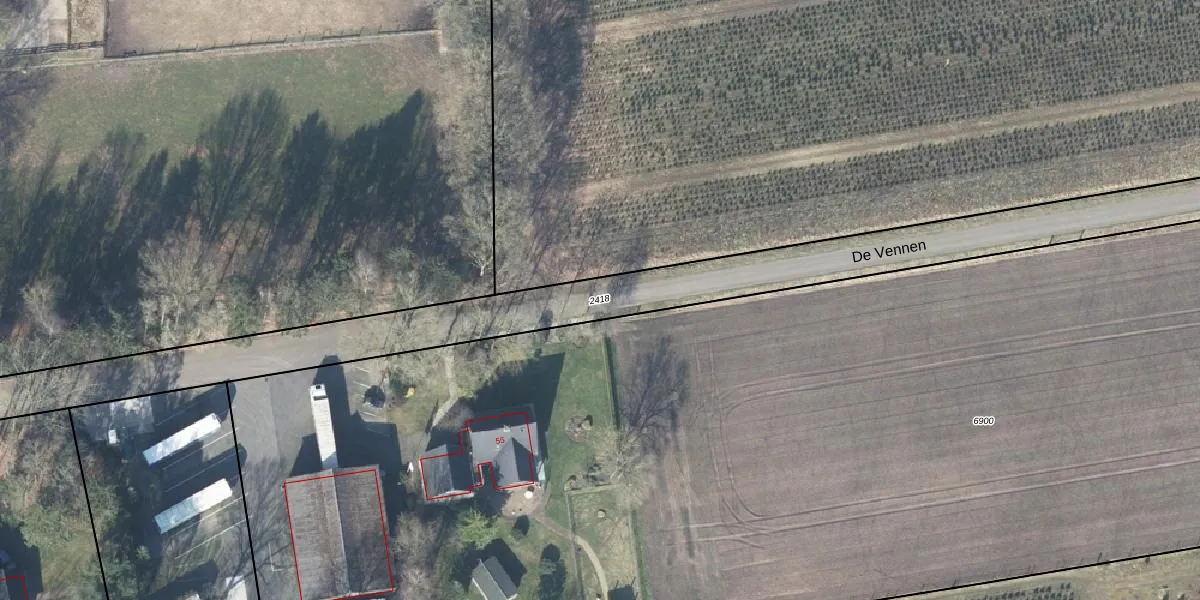
Perceel: APD01-D-2418
KadastraleKaart.com kan meer dan je denktOntdek meer ›
Filter op bestemming 50+ datasets Eigendomsdata in één klik Percelen CRM
Geen adressen bij dit perceel
3.480 m2 - 1.015 m
Eigenaar opvragen
APD01-D-2418 (Apeldoorn)
- Geen postcode aanwezig
MI1AvMVZzSUuedVC929XuZMnAW0Upgrade naar KadastraleKaart Pro
Bekijk op Street View
Download DWG/DXF/Excel
LV5GhcZR9 zeBERmDRUpgrade naar KadastraleKaart Pro
bTNQOa5O5KdqM0 OnrUpUpgrade naar KadastraleKaart Pro
vBiNj2bEUpgrade naar KadastraleKaart Pro
r63NAE0 YDpdBLpD fUpgrade naar KadastraleKaart Pro
u2hV2YV2tJIpZECFUpgrade naar KadastraleKaart Pro
z Aud69qDIAOGmaUpgrade naar KadastraleKaart Pro
V6I4 8 PbECUpgrade naar KadastraleKaart Pro
8Vy1To C sPr4WxEUpgrade naar KadastraleKaart Pro
jsXqcBs5MUpgrade naar KadastraleKaart Pro
cBywuGoeamF Upgrade naar KadastraleKaart Pro
22/01/2013

Percelen
Gebruik de zoekbalk of klik op een perceel om informatie over het perceel te bekijken.