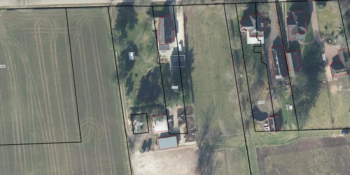
Perceel: APD01-D-5722
800 m2 - 169 m
Eigenaar opvragen
APD01-D-5722 (Apeldoorn)
- 7345 CJ
iaixNvNrE RVHTV4XVFMYLPkIUpgrade naar KadastraleKaart Pro
Verkoopprijs opvragen
Bekijk op Street View
Download DWG/DXF/Excel
tuy2YfEFSJ4QpNUpgrade naar KadastraleKaart Pro
nOJ3wLRYlbWBSQ0sXVcsUpgrade naar KadastraleKaart Pro
k GOFqq6jVhZ 7iumQQPUpgrade naar KadastraleKaart Pro
0yBw8zUT2 rNBCIUJUpgrade naar KadastraleKaart Pro
ltiGFowVweBIXS jhUqWiPUpgrade naar KadastraleKaart Pro
m9sSH1 VzSxUpgrade naar KadastraleKaart Pro
5k6muRlTgLcO5wyN 9yXq7Upgrade naar KadastraleKaart Pro
YHZS pWTseUpgrade naar KadastraleKaart Pro
P09 ChtjO4I1tMR bzkrxUpgrade naar KadastraleKaart Pro
5LgRXjlS9KWL3B5Upgrade naar KadastraleKaart Pro
24/05/2007

Percelen
Gebruik de zoekbalk of klik op een perceel om informatie over het perceel te bekijken.